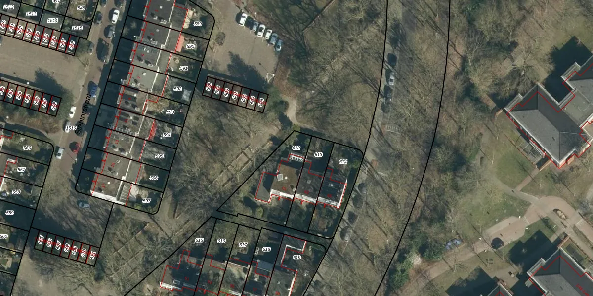
Perceel: WSL01-N-612
KadastraleKaart.com kan meer dan je denktOntdek meer ›
Filter op bestemming 50+ datasets Eigendomsdata in één klik Percelen CRM
472 m2 - 100 m
Eigenaar opvragen
WSL01-N-612 (Woensel)
- 5631 KX
nwh8pYoq97l Wma7dUpgrade naar KadastraleKaart Pro
Bekijk op Street View
Download DWG/DXF/Excel
oleNdQsEIt27AX0Q2vUpgrade naar KadastraleKaart Pro
pzNrFLJ45Upgrade naar KadastraleKaart Pro
9HlMN9TtUpgrade naar KadastraleKaart Pro
k EHNtCN 4DYEsXjRS 9MUpgrade naar KadastraleKaart Pro
lbW4dqZV5i2sDUpgrade naar KadastraleKaart Pro
vBskplYNcQJE zKUpgrade naar KadastraleKaart Pro
PUMI5uxDM8TP hy 7hVQRIUpgrade naar KadastraleKaart Pro
7G 48Ie CzUpgrade naar KadastraleKaart Pro
b52lsNd iUpgrade naar KadastraleKaart Pro
hDjfnT4SQOkR RXWk1Upgrade naar KadastraleKaart Pro
25/04/2006

Percelen
Gebruik de zoekbalk of klik op een perceel om informatie over het perceel te bekijken.