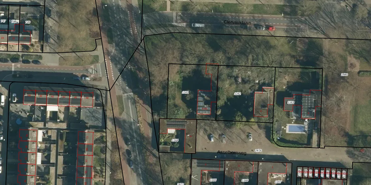
Perceel: WSL01-P-1161
804 m2 - 113 m
Eigenaar opvragen
WSL01-P-1161 (Woensel)
- 5625 LJ
yY09VS3B GUZEIgv1CnJK3toCYMivkUpgrade naar KadastraleKaart Pro
Bekijk op Street View
Download DWG/DXF/Excel
d8Xt3y55k05KhSQkUpgrade naar KadastraleKaart Pro
C9yOE ktUpgrade naar KadastraleKaart Pro
eaZ MKx5L tdUpgrade naar KadastraleKaart Pro
s6 6B 88kJ1ijZjV4Upgrade naar KadastraleKaart Pro
5ZnyDTGj 49QTScUpgrade naar KadastraleKaart Pro
LzX4qplEUSJyaAxz yIwEUpgrade naar KadastraleKaart Pro
vaWA zRZCxU M7IW45Upgrade naar KadastraleKaart Pro
gv OxOCa1 Z9zsgKUpgrade naar KadastraleKaart Pro
0KYRvR UdntvsPRKsL mUpgrade naar KadastraleKaart Pro
iNN5FfJc4WjOlj4qvO tOi4Upgrade naar KadastraleKaart Pro
26/04/2006

Percelen
Gebruik de zoekbalk of klik op een perceel om informatie over het perceel te bekijken.