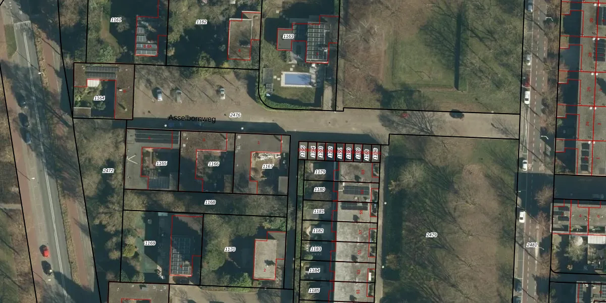
Perceel: WSL01-P-1195
19 m2 - 18 m
Eigenaar opvragen
WSL01-P-1195 (Woensel)
- Geen postcode aanwezig
yZj2UL0 z0RBO7OgcTUpgrade naar KadastraleKaart Pro
Bekijk op Street View
Download DWG/DXF/Excel
ylR ZmkkN KoC64Upgrade naar KadastraleKaart Pro
B4 mvzk6Og Upgrade naar KadastraleKaart Pro
2K Rw63kAZG4gs7YkYrWUpgrade naar KadastraleKaart Pro
FK JJdSgIYrUpgrade naar KadastraleKaart Pro
EblGtohdz4Upgrade naar KadastraleKaart Pro
8fRuAZokhlFh PmqwRuUpgrade naar KadastraleKaart Pro
xdIrCr8OUpgrade naar KadastraleKaart Pro
BlhrGGvn U6KXZcMzZfONUpgrade naar KadastraleKaart Pro
3b1M8Mp54FTiUpgrade naar KadastraleKaart Pro
6iTTBEeKW2d up lUpgrade naar KadastraleKaart Pro
26/04/2006

Percelen
Gebruik de zoekbalk of klik op een perceel om informatie over het perceel te bekijken.