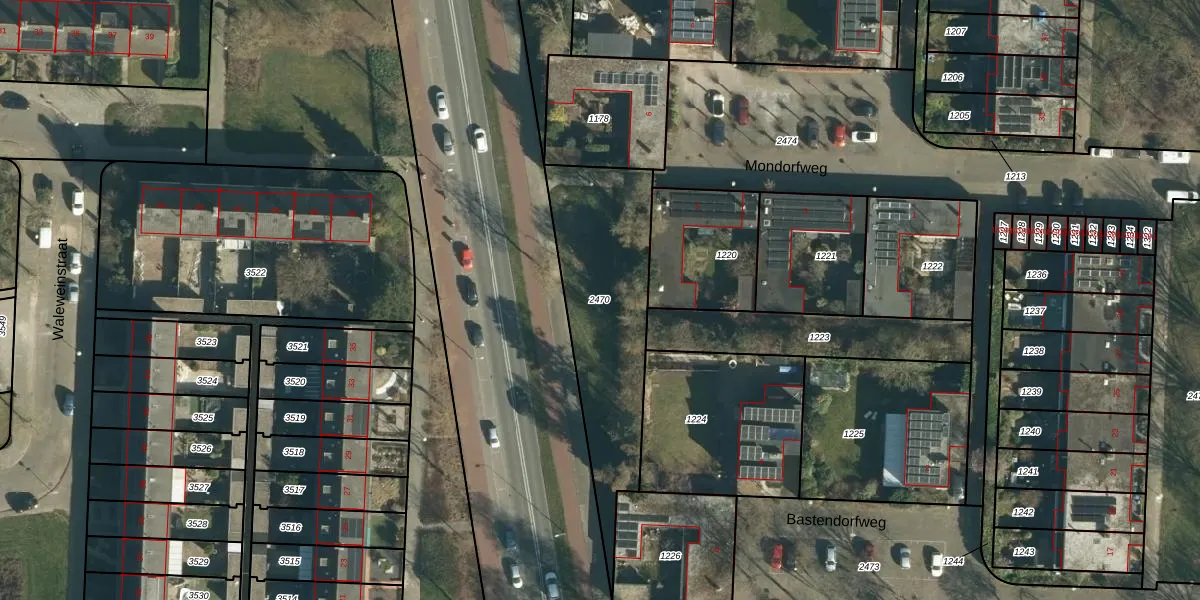
Perceel: WSL01-P-2470
Geen adressen bij dit perceel
730 m2 - 168 m
Eigenaar opvragen
WSL01-P-2470 (Woensel)
- Geen postcode aanwezig
36qHS4lgTf5P6 uOUpgrade naar KadastraleKaart Pro
Bekijk op Street View
Download DWG/DXF/Excel
oKoAy6O2JwUpgrade naar KadastraleKaart Pro
C9mnQn Qt2Oaqsm6JGLWqzUpgrade naar KadastraleKaart Pro
rttTBb0pq3OzlGTySM1Jw Upgrade naar KadastraleKaart Pro
5sk2hDbY8Errg mjigB3a Upgrade naar KadastraleKaart Pro
TX49YHZ 1bYQkV4aSi4nN0Upgrade naar KadastraleKaart Pro
hq56R wpGH3t Upgrade naar KadastraleKaart Pro
J8NzocE KOjUpgrade naar KadastraleKaart Pro
DA3gPtXloIUpgrade naar KadastraleKaart Pro
7Oob1EW1VWmvrIAPwUpgrade naar KadastraleKaart Pro
KPHIib6BSO oQSUpgrade naar KadastraleKaart Pro
26/04/2006

Percelen
Gebruik de zoekbalk of klik op een perceel om informatie over het perceel te bekijken.