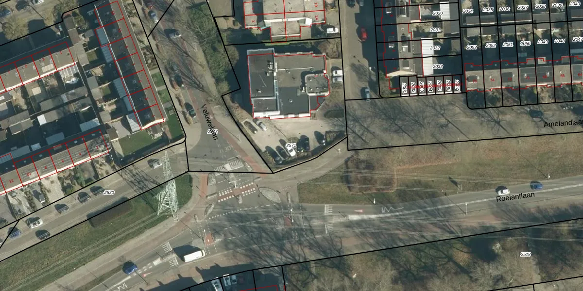
Perceel: WSL01-P-2571
1.502 m2 - 158 m
Eigenaar opvragen
WSL01-P-2571 (Woensel)
- 5628 KC
B5e59tEzQnjK CwJLyVUpgrade naar KadastraleKaart Pro
Bekijk op Street View
Download DWG/DXF/Excel
23ZwkOHvJYF9 T1Upgrade naar KadastraleKaart Pro
zT5FqtDbVH3Upgrade naar KadastraleKaart Pro
Tf7MuI9Lyfc7ZoPazUpgrade naar KadastraleKaart Pro
Nfa1LMD9SlW8Upgrade naar KadastraleKaart Pro
bveLcWSMYEB Upgrade naar KadastraleKaart Pro
oR83i pzUh5NUpgrade naar KadastraleKaart Pro
0 uHlpNGVyxBKtFL xUpgrade naar KadastraleKaart Pro
lRb3 bcSzUpgrade naar KadastraleKaart Pro
ryy faCxUpgrade naar KadastraleKaart Pro
0TtqA kYx1azQpFkUpgrade naar KadastraleKaart Pro
26/04/2006

Percelen
Gebruik de zoekbalk of klik op een perceel om informatie over het perceel te bekijken.