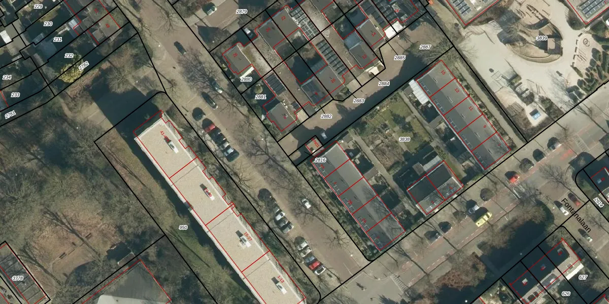
Perceel: WSL01-P-2816
48 m2 - 31 m
Eigenaar opvragen
WSL01-P-2816 (Woensel)
- Geen postcode aanwezig
yuxcaD uj7SY 7jrdA OHTZMUpgrade naar KadastraleKaart Pro
Bekijk op Street View
Download DWG/DXF/Excel
0 fiFARaqELbMuVxCGwUpgrade naar KadastraleKaart Pro
Vx9UT3K65N5NV XnNXzIUpgrade naar KadastraleKaart Pro
mhZjoqkOO35u dUpgrade naar KadastraleKaart Pro
a98 c5GJ8SNkCvp bCXDuiQUpgrade naar KadastraleKaart Pro
Ck0LY5 mVn mc 8gXxq0BMVUpgrade naar KadastraleKaart Pro
skx3X0D ejA13kr 7C5HWUpgrade naar KadastraleKaart Pro
7dWNZu iUpgrade naar KadastraleKaart Pro
BJz7Mer8LPEJUpgrade naar KadastraleKaart Pro
k773 kisp8ASroMQVDvUpgrade naar KadastraleKaart Pro
Vg u JAICmcEefB5W5JWK Upgrade naar KadastraleKaart Pro
25/04/2006

Percelen
Gebruik de zoekbalk of klik op een perceel om informatie over het perceel te bekijken.