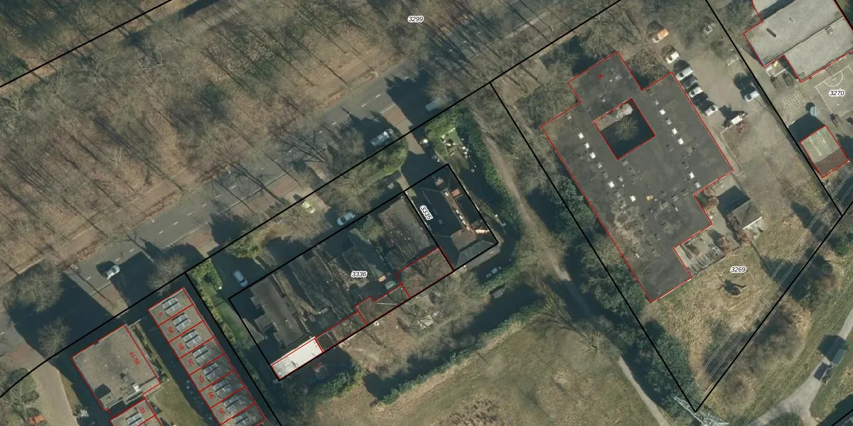
Perceel: WSL01-P-3335
KadastraleKaart.com kan meer dan je denktOntdek meer ›
Filter op bestemming 50+ datasets Eigendomsdata in één klik Percelen CRM
269 m2 - 68 m
Eigenaar opvragen
WSL01-P-3335 (Woensel)
- 5624 EA
qGe QTRqV Fz rE ihuhUpgrade naar KadastraleKaart Pro
Bekijk op Street View
Download DWG/DXF/Excel
4f 41Wp59nKUpgrade naar KadastraleKaart Pro
Fi 014ukUpgrade naar KadastraleKaart Pro
Q SkxI59sa19qo1UEl Upgrade naar KadastraleKaart Pro
fqzoUFYoLCDiCUpgrade naar KadastraleKaart Pro
vRlpqET9m8ZtSgfjwN eUpgrade naar KadastraleKaart Pro
js1HAqzwkgAp Y2r5UR Upgrade naar KadastraleKaart Pro
6k4Guivbs7cMEBinp53v1Upgrade naar KadastraleKaart Pro
FCXj ac3JlZyFfCZCEOUpgrade naar KadastraleKaart Pro
fhd hr5j59Upgrade naar KadastraleKaart Pro
6DvoS8qpv kXUpgrade naar KadastraleKaart Pro
04/09/2006

Percelen
Gebruik de zoekbalk of klik op een perceel om informatie over het perceel te bekijken.