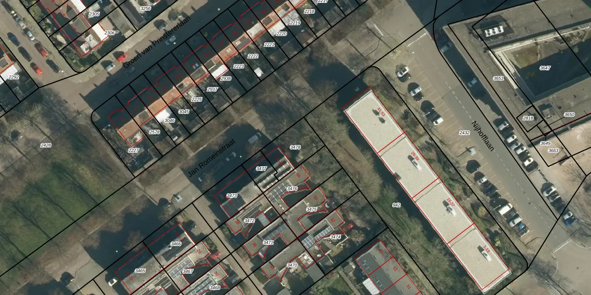
Perceel: WSL01-P-3478
KadastraleKaart.com kan meer dan je denktOntdek meer ›
Filter op bestemming 50+ datasets Eigendomsdata in één klik Percelen CRM
226 m2 - 64 m
Eigenaar opvragen
WSL01-P-3478 (Woensel)
- 5624 JJ
EJ4YJu 1LlkS rythFy YRUpgrade naar KadastraleKaart Pro
Verkoopprijs opvragen
Bekijk op Street View
Download DWG/DXF/Excel
1TtChXCdHe4Upgrade naar KadastraleKaart Pro
q nYupxvkw jFCiJAgwDUpgrade naar KadastraleKaart Pro
YJkC1ctEhXUJFUpgrade naar KadastraleKaart Pro
8mp9b5WhnJYSFUpgrade naar KadastraleKaart Pro
04GiPDgSIkp Y0Upgrade naar KadastraleKaart Pro
Lao2F QFZmdWJ HUpgrade naar KadastraleKaart Pro
56qxcccs5eLOJ0 eduUpgrade naar KadastraleKaart Pro
Y8 cmiKVDmnSE4vRhT J MUpgrade naar KadastraleKaart Pro
124wWGFtqjGSDwck9D0eUpgrade naar KadastraleKaart Pro
bHbWIDBCnS4elv96uH erUpgrade naar KadastraleKaart Pro
09/07/2007

Percelen
Gebruik de zoekbalk of klik op een perceel om informatie over het perceel te bekijken.