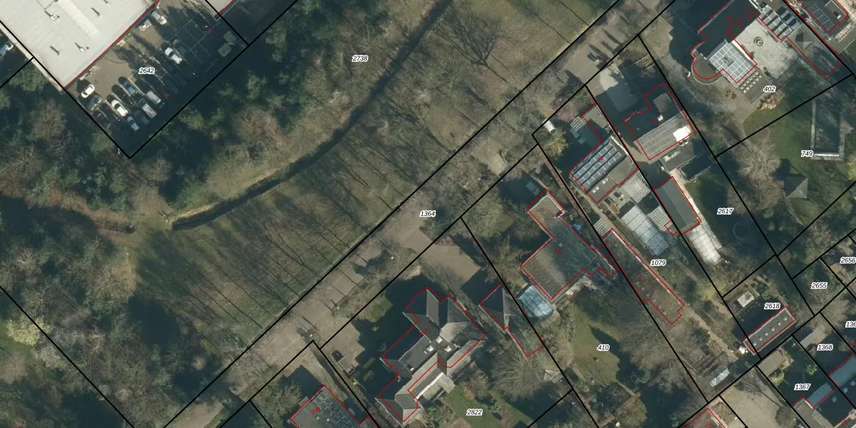
Perceel: WSL01-T-1364
Geen adressen bij dit perceel
3.347 m2 - 718 m
Eigenaar opvragen
WSL01-T-1364 (Woensel)
- Geen postcode aanwezig
V4AclZ9YWLEZTw9 VbP4eUpgrade naar KadastraleKaart Pro
Bekijk op Street View
Download DWG/DXF/Excel
ecJL igz Y05Upgrade naar KadastraleKaart Pro
xU5KPJW 8kGf8I3k12Upgrade naar KadastraleKaart Pro
A3xMvYmPFO 167p3Upgrade naar KadastraleKaart Pro
Rrfq7i1Spp ezywznt1AUpgrade naar KadastraleKaart Pro
GnhP8V8XKB 3Upgrade naar KadastraleKaart Pro
9uwA T6RI5NVEfrtUpgrade naar KadastraleKaart Pro
io7U3KMVRn 27XABciGUpgrade naar KadastraleKaart Pro
Q8d6zPgfrnpUTmqO9Upgrade naar KadastraleKaart Pro
CahxkvXymUpgrade naar KadastraleKaart Pro
Jmj6EL7q XaSaDkoK4Upgrade naar KadastraleKaart Pro
31/01/2011

Percelen
Gebruik de zoekbalk of klik op een perceel om informatie over het perceel te bekijken.