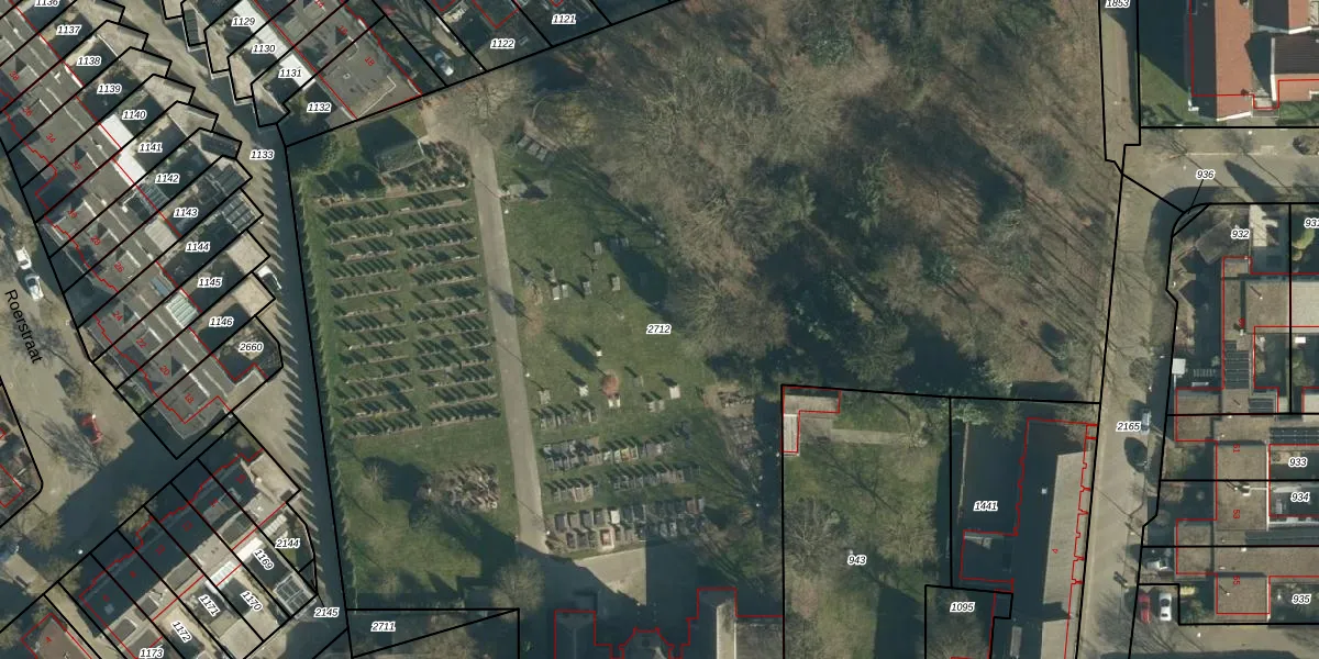
Perceel: WSL01-T-2712
12.070 m2 - 554 m
Eigenaar opvragen
WSL01-T-2712 (Woensel)
- 5626 BL
HO39janXO4O7KWYFB p9BBUpgrade naar KadastraleKaart Pro
Bekijk op Street View
Download DWG/DXF/Excel
Qta0rt9C5jlFDoqOWUpgrade naar KadastraleKaart Pro
0jrF3z8MdUpgrade naar KadastraleKaart Pro
9u2 IzCrkHWGct0Upgrade naar KadastraleKaart Pro
Zs9Dq Ecb0Mn2MUpgrade naar KadastraleKaart Pro
hV8kMUgQUpgrade naar KadastraleKaart Pro
uXZGLt 7Upgrade naar KadastraleKaart Pro
IsmiB1CkMzO 1SUpgrade naar KadastraleKaart Pro
CEBTTHS1 0wG0rCLnYUpgrade naar KadastraleKaart Pro
ITf0q n44UNsuqOPUpgrade naar KadastraleKaart Pro
73C TadAUpgrade naar KadastraleKaart Pro
30/07/2015

Percelen
Gebruik de zoekbalk of klik op een perceel om informatie over het perceel te bekijken.