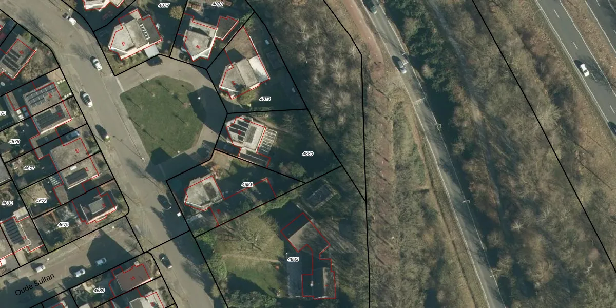
Perceel: WSL01-W-4880
KadastraleKaart.com kan meer dan je denktOntdek meer ›
Filter op bestemming 50+ datasets Eigendomsdata in één klik Percelen CRM
642 m2 - 105 m
Eigenaar opvragen
WSL01-W-4880 (Woensel)
- 5629 KH
BoP7oYi1QRs gSYhUpgrade naar KadastraleKaart Pro
Verkoopprijs opvragen
Bekijk op Street View
Download DWG/DXF/Excel
1HKtTZZ2eF4gX9 mmCo7Upgrade naar KadastraleKaart Pro
UhIHQ6IfuISzRan87QZlUpgrade naar KadastraleKaart Pro
xhXtd4pUNpABQHv5cUpgrade naar KadastraleKaart Pro
kN0 z1H5 i51zCRO 3OSoUpgrade naar KadastraleKaart Pro
hD InWUmUpgrade naar KadastraleKaart Pro
xiaNNd3i QJNC9ApYc9jHkUpgrade naar KadastraleKaart Pro
prSaE f2 NFUpgrade naar KadastraleKaart Pro
gqaN2EH6LvTI9 Upgrade naar KadastraleKaart Pro
Ek FxmIGpT1Q yXtrhUpgrade naar KadastraleKaart Pro
0LKakNaUpgrade naar KadastraleKaart Pro
03/04/2012

Percelen
Gebruik de zoekbalk of klik op een perceel om informatie over het perceel te bekijken.