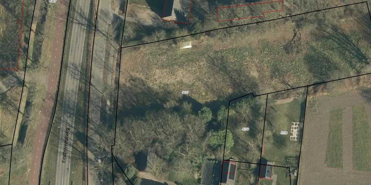
Perceel: WSL01-X-5077
8.182 m2 - 467 m
Eigenaar opvragen
WSL01-X-5077 (Woensel)
- 5633 BG
ZhbYh O1 G6C1CKP6haJJUpgrade naar KadastraleKaart Pro
Verkoopprijs opvragen
Bekijk op Street View
Download DWG/DXF/Excel
oXcj2hihgIkxlFncUpgrade naar KadastraleKaart Pro
hlUIkz3 xUU 6Upgrade naar KadastraleKaart Pro
IBTh0tc 1mpqwF6CUpgrade naar KadastraleKaart Pro
uHaA7GduF KlT9 CLR7Y0DUpgrade naar KadastraleKaart Pro
ov8rMN1DH7S3SUpgrade naar KadastraleKaart Pro
mh57m3ekjKUpgrade naar KadastraleKaart Pro
ga5Z CAplPn F o 5QpTEUpgrade naar KadastraleKaart Pro
fMrch3p Ja5Ko4KDaUpgrade naar KadastraleKaart Pro
WYM1V2LAj852PPtfUpgrade naar KadastraleKaart Pro
y9uFNGbiPjRkBUpgrade naar KadastraleKaart Pro
28/09/2018

Percelen
Gebruik de zoekbalk of klik op een perceel om informatie over het perceel te bekijken.