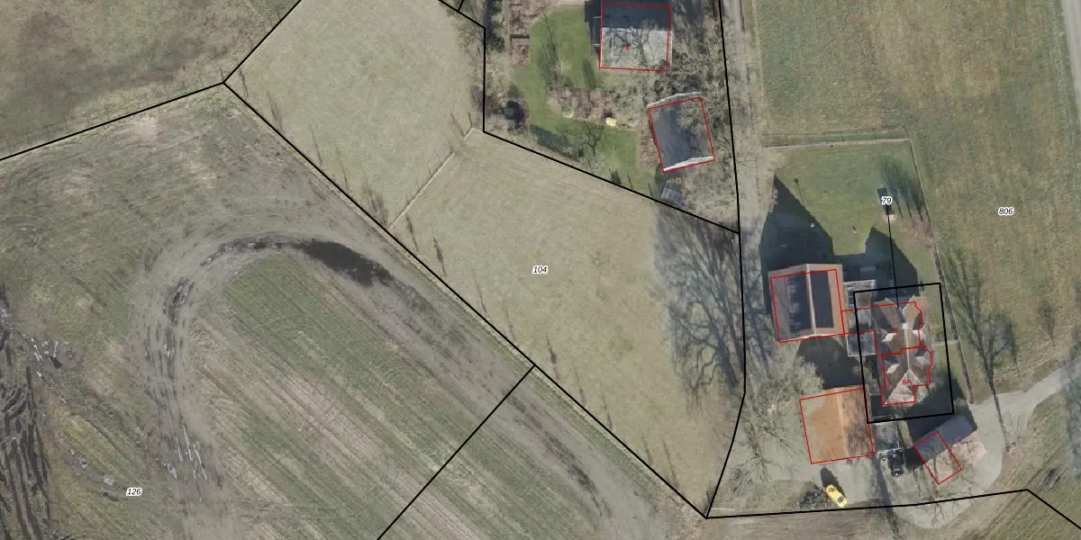
Perceel: WSL02-U-104
Geen adressen bij dit perceel
3.945 m2 - 308 m
Eigenaar opvragen
WSL02-U-104 (Weerselo)
- Geen postcode aanwezig
EPhY4vvesvl52sbLZ63Ko1Upgrade naar KadastraleKaart Pro
Bekijk op Street View
Download DWG/DXF/Excel
LsW1QIf7oh1aQ062pUpgrade naar KadastraleKaart Pro
6X0 iZf6UnyOXdIwFUpgrade naar KadastraleKaart Pro
Pq8oJdBY6JdUpgrade naar KadastraleKaart Pro
n 46t h0N oiKUpgrade naar KadastraleKaart Pro
VqA1dkTa5 sUpgrade naar KadastraleKaart Pro
s3fnCZzl 2 An9neQUpgrade naar KadastraleKaart Pro
cun 8 w QPc0 W Upgrade naar KadastraleKaart Pro
A7Ce gIlpk tE56gFTlp5Upgrade naar KadastraleKaart Pro
rw5Mjaez WKUpgrade naar KadastraleKaart Pro
mIQ2ATJFo3FR LS7t8SFUpgrade naar KadastraleKaart Pro
01/02/2008

Percelen
Gebruik de zoekbalk of klik op een perceel om informatie over het perceel te bekijken.