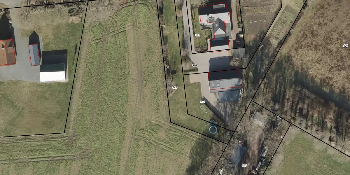
Perceel: WSL02-W-849
Geen adressen bij dit perceel
980 m2 - 225 m
Eigenaar opvragen
WSL02-W-849 (Weerselo)
- Geen postcode aanwezig
KWc3ZKHTaOBqUCJRR FQkj OdRDiCGUpgrade naar KadastraleKaart Pro
Bekijk op Street View
Download DWG/DXF/Excel
MIpjK TK631Upgrade naar KadastraleKaart Pro
YJJPT5vnEUViMuJ Doc1Upgrade naar KadastraleKaart Pro
Y Yp VPMD3eUpgrade naar KadastraleKaart Pro
LMFEn3IeUpgrade naar KadastraleKaart Pro
vsZLB 9WuL0F CV6tTD9PWUpgrade naar KadastraleKaart Pro
nk 1yQ7t3Upgrade naar KadastraleKaart Pro
GIE71ONIUpgrade naar KadastraleKaart Pro
dVB2Ue1h1qN 3Upgrade naar KadastraleKaart Pro
jhTSNItrB ZUpgrade naar KadastraleKaart Pro
GjLPmWIBqW zrCUxgbUpgrade naar KadastraleKaart Pro
11/04/2016

Percelen
Gebruik de zoekbalk of klik op een perceel om informatie over het perceel te bekijken.