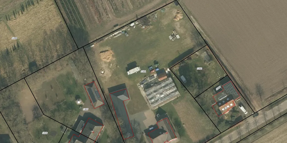
Perceel: WSM02-A-1181
KadastraleKaart.com kan meer dan je denktOntdek meer ›
Filter op bestemming 50+ datasets Eigendomsdata in één klik Percelen CRM
6.595 m2 - 370 m
Eigenaar opvragen
WSM02-A-1181 (Wanssum)
- 5862 AP
Rw6YkW0ZuiGJ8XaNRUpgrade naar KadastraleKaart Pro
Bekijk op Street View
Download DWG/DXF/Excel
X8sfJbuPS lcralavEkYmU Upgrade naar KadastraleKaart Pro
gE CUJ3oj43MNUpgrade naar KadastraleKaart Pro
nA5 xO66qbXhNALm9dKAUpgrade naar KadastraleKaart Pro
bFpNyq EGVUUpgrade naar KadastraleKaart Pro
s4r2q5Ke35h o 7pDgHTNeIUpgrade naar KadastraleKaart Pro
mz49zfGiUpgrade naar KadastraleKaart Pro
6LOxbC5GIY5UDu73U91Upgrade naar KadastraleKaart Pro
U0pJ5M3qzZUpgrade naar KadastraleKaart Pro
odCCz55NGkrvmnUpgrade naar KadastraleKaart Pro
j636X6yTPX7r9SzS9Upgrade naar KadastraleKaart Pro
01/08/2019

Percelen
Gebruik de zoekbalk of klik op een perceel om informatie over het perceel te bekijken.