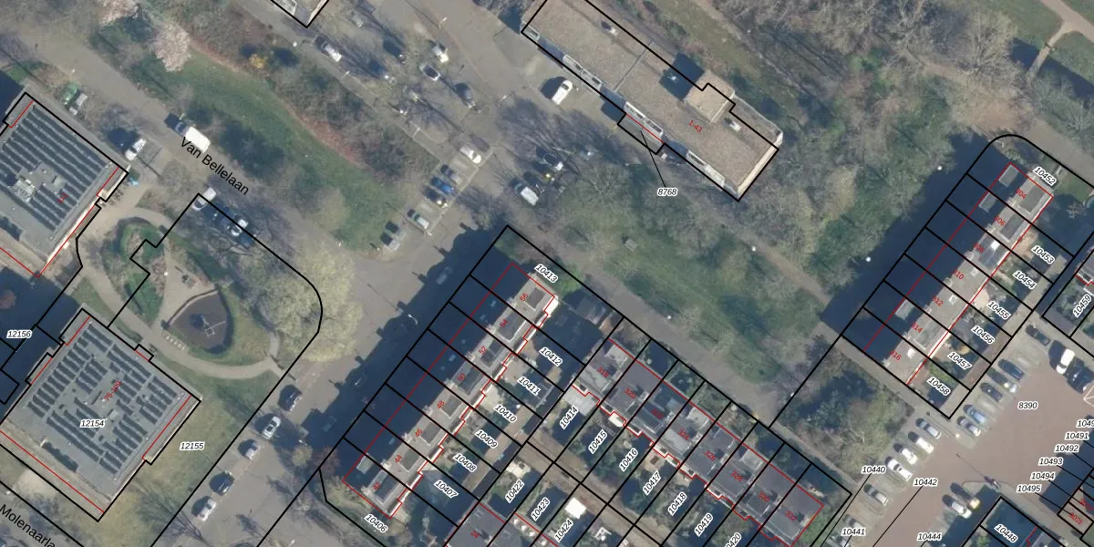
Perceel: WSN01-B-10413
KadastraleKaart.com kan meer dan je denktOntdek meer ›
Filter op bestemming 50+ datasets Eigendomsdata in één klik Percelen CRM
303 m2 - 77 m
Eigenaar opvragen
WSN01-B-10413 (Wassenaar)
- 2241 RD
wTV IrfvREHwt9jMwUpgrade naar KadastraleKaart Pro
Verkoopprijs opvragen
Bekijk op Street View
Download DWG/DXF/Excel
BDRSczk93StUpgrade naar KadastraleKaart Pro
Cp DyWWROK5 R0Od s77Upgrade naar KadastraleKaart Pro
kL LqSUZ2XW r3RN17XUpgrade naar KadastraleKaart Pro
Pl3lAq9p1Upgrade naar KadastraleKaart Pro
kB GfcHDe ShsLVinqSUpgrade naar KadastraleKaart Pro
rQO3deWqA Zy5BwtGUpgrade naar KadastraleKaart Pro
44xaRmBXDUpgrade naar KadastraleKaart Pro
TYjW KpiPCEp A0 LgTUpgrade naar KadastraleKaart Pro
T0RMU0sohwi0tKVvfK4OaUpgrade naar KadastraleKaart Pro
iRUqzzVKR PzTUpgrade naar KadastraleKaart Pro
08/07/2011

Percelen
Gebruik de zoekbalk of klik op een perceel om informatie over het perceel te bekijken.