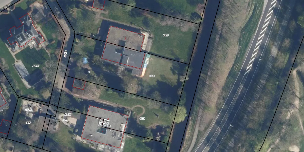
Perceel: WSN01-B-6979
KadastraleKaart.com kan meer dan je denktOntdek meer ›
Filter op bestemming 50+ datasets Eigendomsdata in één klik Percelen CRM
2.080 m2 - 212 m
Eigenaar opvragen
WSN01-B-6979 (Wassenaar)
- 2242 PL
hdOCcl1x3Z87AMrIbe0dmGPOnbUpgrade naar KadastraleKaart Pro
Verkoopprijs opvragen
Bekijk op Street View
Download DWG/DXF/Excel
2hqrQ N9Ssb93fCsKUpgrade naar KadastraleKaart Pro
g7MTAj9QK9CEUpgrade naar KadastraleKaart Pro
N Sq J8KrS25MTMEn GUpgrade naar KadastraleKaart Pro
nFjIIGHmhRjH5Z7b4 E3Upgrade naar KadastraleKaart Pro
6 rEMlsem RD6OIAe9pEUpgrade naar KadastraleKaart Pro
MdPEp pzQs zub yDV4 rUpgrade naar KadastraleKaart Pro
sAB3yimgUpgrade naar KadastraleKaart Pro
vTKSW91JHFw7TI2Upgrade naar KadastraleKaart Pro
a 3f7 YdC6SIUpgrade naar KadastraleKaart Pro
Cpr z el2CXmFZBUpgrade naar KadastraleKaart Pro
25/09/2008

Percelen
Gebruik de zoekbalk of klik op een perceel om informatie over het perceel te bekijken.