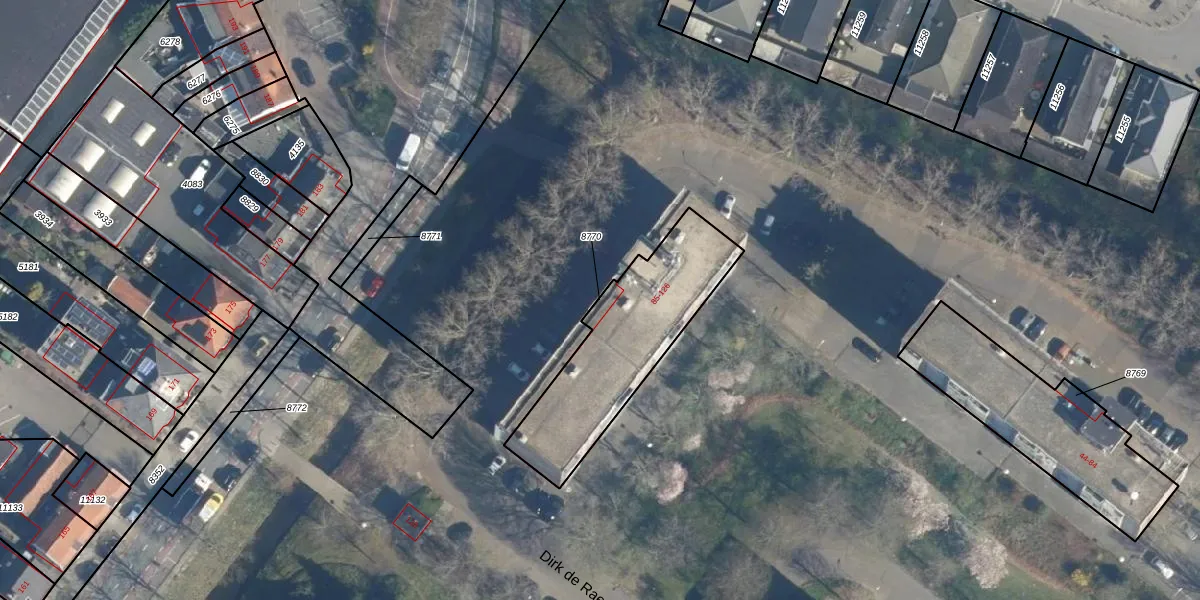
Perceel: WSN01-B-8770
KadastraleKaart.com kan meer dan je denktOntdek meer ›
Filter op bestemming 50+ datasets Eigendomsdata in één klik Percelen CRM
623 m2 - 129 m
Eigenaar opvragen
WSN01-B-8770 (Wassenaar)
- 2241 RK -2241 RL
ZERgIUVcaasKltib8qUpgrade naar KadastraleKaart Pro
Bekijk op Street View
Download DWG/DXF/Excel
Oyyh4IpOLQm5Jobk7Q7G3nUpgrade naar KadastraleKaart Pro
eOKuzFm1fZ3xrTXKQ N7RaWUpgrade naar KadastraleKaart Pro
upVhgl kPaBh0Qe6XybtIq Upgrade naar KadastraleKaart Pro
k lK3xWJNmg9ugwovUpgrade naar KadastraleKaart Pro
Nk Z QuGmz6Upgrade naar KadastraleKaart Pro
GBEMpftMn Ar7Upgrade naar KadastraleKaart Pro
J 8P9PHcGZyTOhvHrUpgrade naar KadastraleKaart Pro
KrxGcjWZ5Pglim NmgUpgrade naar KadastraleKaart Pro
HFtxe1GvUpgrade naar KadastraleKaart Pro
bbm gQ doKNmr88stTHTUpgrade naar KadastraleKaart Pro
20/12/2006

Percelen
Gebruik de zoekbalk of klik op een perceel om informatie over het perceel te bekijken.