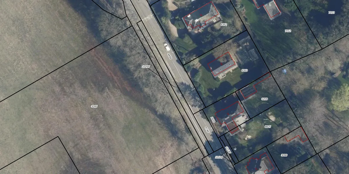
Perceel: WSN01-F-10255
Geen adressen bij dit perceel
255 m2 - 179 m
Eigenaar opvragen
WSN01-F-10255 (Wassenaar)
- Geen postcode aanwezig
GP2UWcKWDp6ymNTXcUpgrade naar KadastraleKaart Pro
Bekijk op Street View
Download DWG/DXF/Excel
Un3 y7GgCCUpgrade naar KadastraleKaart Pro
skWwIyNkBZW09NzNUpgrade naar KadastraleKaart Pro
u 2 xon 6Upgrade naar KadastraleKaart Pro
uWrsi9kw0p8J3 uW4PUpgrade naar KadastraleKaart Pro
9YHSRkkmx hnUpgrade naar KadastraleKaart Pro
Um9jqrhS0HpRf 4i4p2YhUpgrade naar KadastraleKaart Pro
pton7ThAdPyuWlvTagLUpgrade naar KadastraleKaart Pro
eWCHW2VD8 n Upgrade naar KadastraleKaart Pro
WI7L9oyVNeREiDAckSUpgrade naar KadastraleKaart Pro
iVHvLaMUVmUpgrade naar KadastraleKaart Pro
06/02/1998

Percelen
Gebruik de zoekbalk of klik op een perceel om informatie over het perceel te bekijken.