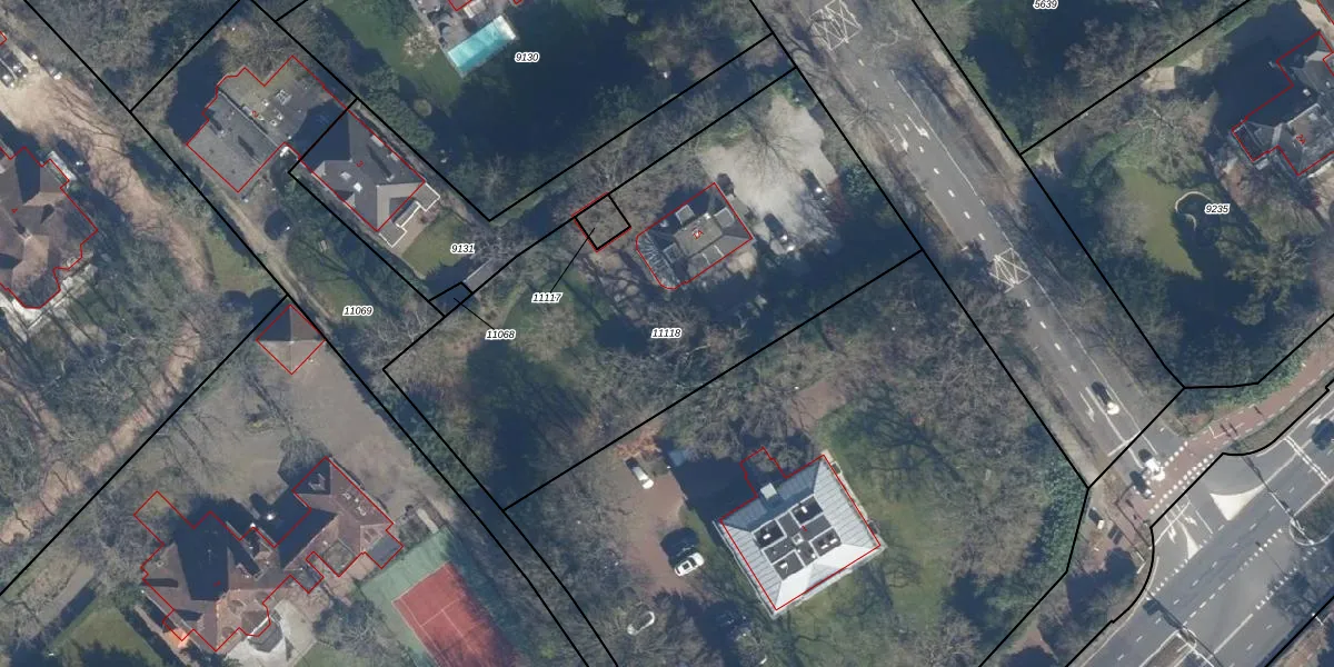
Perceel: WSN01-F-11118
2.325 m2 - 224 m
Eigenaar opvragen
WSN01-F-11118 (Wassenaar)
- 2243 CR
sGK2K XputIsK8vcCTEUoQUpgrade naar KadastraleKaart Pro
Verkoopprijs opvragen
Bekijk op Street View
Download DWG/DXF/Excel
5MiVnarE94oUpgrade naar KadastraleKaart Pro
m7ZsMp CdAhEUq5vSK Upgrade naar KadastraleKaart Pro
2 9GR y2BfH 7nvBzvDaPBLUpgrade naar KadastraleKaart Pro
gExB2YOAHN5Upgrade naar KadastraleKaart Pro
p2bSkZ0wUpgrade naar KadastraleKaart Pro
6da6RGUiNP TpInx8DeJUpgrade naar KadastraleKaart Pro
Hw T UR4hKnhBkLAN3geUpgrade naar KadastraleKaart Pro
VYb676SO7kI8sPtITUpgrade naar KadastraleKaart Pro
XHe0YU0HVUpgrade naar KadastraleKaart Pro
Xz0LkDhklv787NbxUpgrade naar KadastraleKaart Pro
03/01/2003

Percelen
Gebruik de zoekbalk of klik op een perceel om informatie over het perceel te bekijken.