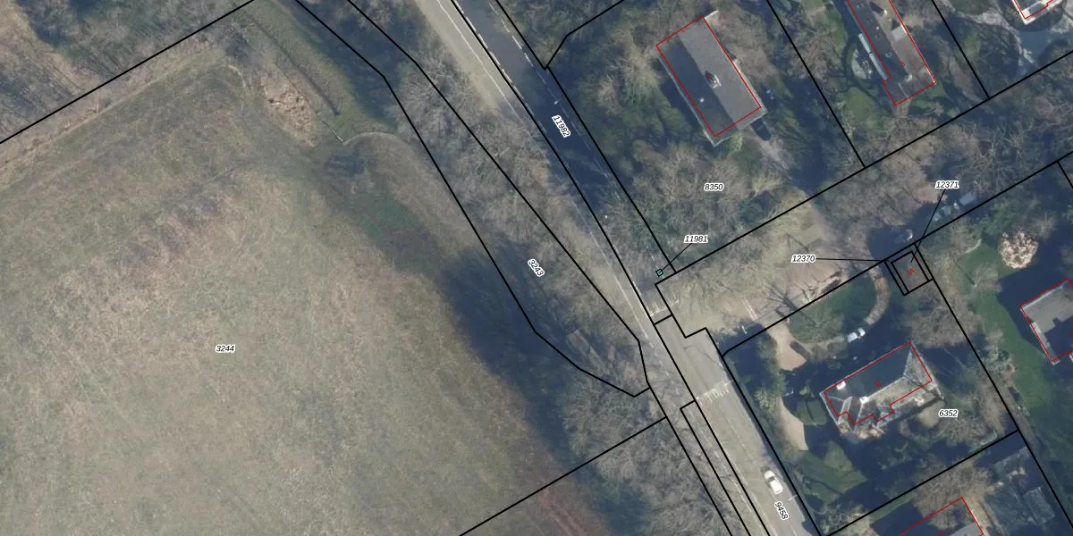
Perceel: WSN01-G-3243
KadastraleKaart.com kan meer dan je denktOntdek meer ›
Filter op bestemming 50+ datasets Eigendomsdata in één klik Percelen CRM
Geen adressen bij dit perceel
1.040 m2 - 216 m
Eigenaar opvragen
WSN01-G-3243 (Wassenaar)
- Geen postcode aanwezig
K xuzZCFi3tLoiKCdFhbePVD4hZL85Upgrade naar KadastraleKaart Pro
Bekijk op Street View
Download DWG/DXF/Excel
CRyKGjaylSm Ia xHDvUpgrade naar KadastraleKaart Pro
tU uQbcLVZwm P sYRy1Upgrade naar KadastraleKaart Pro
MXTiUMQEUpgrade naar KadastraleKaart Pro
A j0xkCg1p7753 pFK Upgrade naar KadastraleKaart Pro
MIfiBuIN QeWNUpgrade naar KadastraleKaart Pro
8A4uBI OIfrWkr4IaRqm644Upgrade naar KadastraleKaart Pro
IEKz9wDXov qUpgrade naar KadastraleKaart Pro
Lonvpr1aPIUpgrade naar KadastraleKaart Pro
EJtRcwKcDNF7kDDpRPd8hWUpgrade naar KadastraleKaart Pro
PDjDpXB IozyEuE8SYT3Upgrade naar KadastraleKaart Pro
06/02/1998

Percelen
Gebruik de zoekbalk of klik op een perceel om informatie over het perceel te bekijken.