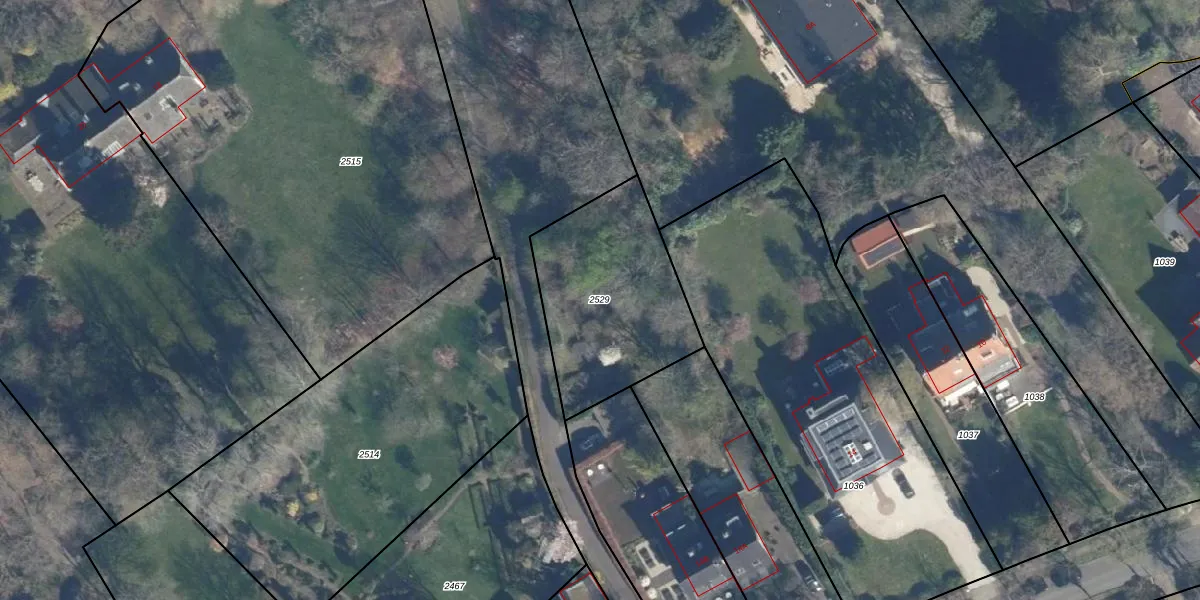
Perceel: WSN01-H-2529
KadastraleKaart.com kan meer dan je denktOntdek meer ›
Filter op bestemming 50+ datasets Eigendomsdata in één klik Percelen CRM
Geen adressen bij dit perceel
700 m2 - 109 m
Eigenaar opvragen
WSN01-H-2529 (Wassenaar)
- Geen postcode aanwezig
qsn08Rz6uavbB8GEsUpgrade naar KadastraleKaart Pro
Bekijk op Street View
Download DWG/DXF/Excel
0 Nm OKCRBMhdUpgrade naar KadastraleKaart Pro
MswFfJ 5x1QeBLN28I Upgrade naar KadastraleKaart Pro
VHsqdnjaEMOaNnUpgrade naar KadastraleKaart Pro
D73R BBWUF Upgrade naar KadastraleKaart Pro
70cfColvhi17NYyymUpgrade naar KadastraleKaart Pro
Cvz1ahQk3C5fJYkIef Q mUpgrade naar KadastraleKaart Pro
N 0P fLSuhXacUpgrade naar KadastraleKaart Pro
eA9jLAR9mvSvDylHUpgrade naar KadastraleKaart Pro
gdmXmC0LU0hb696wFpASs Upgrade naar KadastraleKaart Pro
4VP Kxmdz E2eUUpgrade naar KadastraleKaart Pro
14/04/2010

Percelen
Gebruik de zoekbalk of klik op een perceel om informatie over het perceel te bekijken.