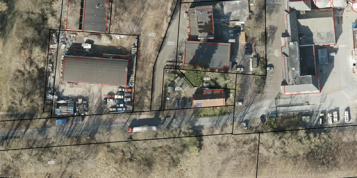
Perceel: WST00-H-1480
KadastraleKaart.com kan meer dan je denktOntdek meer ›
Filter op bestemming 50+ datasets Eigendomsdata in één klik Percelen CRM
597 m2 - 118 m
Eigenaar opvragen
WST00-H-1480 (Winschoten)
- 9672 AJ
ZMRklFqhi2 0AyRUwAm7Q5EnBsVEsBUpgrade naar KadastraleKaart Pro
Bekijk op Street View
Download DWG/DXF/Excel
5EWyOwCXJGrr2CUpgrade naar KadastraleKaart Pro
Pd V ENLbECTikoPuj VNUpgrade naar KadastraleKaart Pro
aYmi WYiO7kncDUpgrade naar KadastraleKaart Pro
B amIKBwilZ Upgrade naar KadastraleKaart Pro
mGUrZ88C eIttvsyKJa7 Upgrade naar KadastraleKaart Pro
1Jei9ZNEiw3Upgrade naar KadastraleKaart Pro
O1E9 d9Lh Upgrade naar KadastraleKaart Pro
QAkSY rOYzb nrkmclUpgrade naar KadastraleKaart Pro
D7HqijSa7fpa8JR9FUpgrade naar KadastraleKaart Pro
vNyhh6c4jtU uPUpgrade naar KadastraleKaart Pro
09/03/1998

Percelen
Gebruik de zoekbalk of klik op een perceel om informatie over het perceel te bekijken.