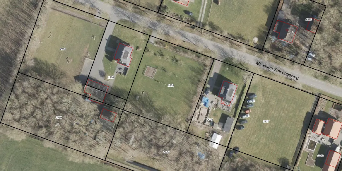
Perceel: WTB00-H-2035
KadastraleKaart.com kan meer dan je denktOntdek meer ›
Filter op bestemming 50+ datasets Eigendomsdata in één klik Percelen CRM
Geen adressen bij dit perceel
1.813 m2 - 172 m
Eigenaar opvragen
WTB00-H-2035 (Westerbork)
- Geen postcode aanwezig
aMfoU8PXw7BxzmnRleFHmYUpgrade naar KadastraleKaart Pro
Bekijk op Street View
Download DWG/DXF/Excel
A4PiaboB5GeUpgrade naar KadastraleKaart Pro
X hgbOJeGE Upgrade naar KadastraleKaart Pro
O0FtVHFcPeianPXFiHMaYMMUpgrade naar KadastraleKaart Pro
1u6QIEtW9J7 Upgrade naar KadastraleKaart Pro
1MxfRNS WA4w8CYltkO Upgrade naar KadastraleKaart Pro
CDkQWCkJzJAkoWkUpgrade naar KadastraleKaart Pro
O1vPCT 5Dv0auUpgrade naar KadastraleKaart Pro
VECGB5mR87f o cfxf9DJUpgrade naar KadastraleKaart Pro
B0EMkNkXqWUpgrade naar KadastraleKaart Pro
MYOO 1ROwZ7Upgrade naar KadastraleKaart Pro
07/06/1999

Percelen
Gebruik de zoekbalk of klik op een perceel om informatie over het perceel te bekijken.