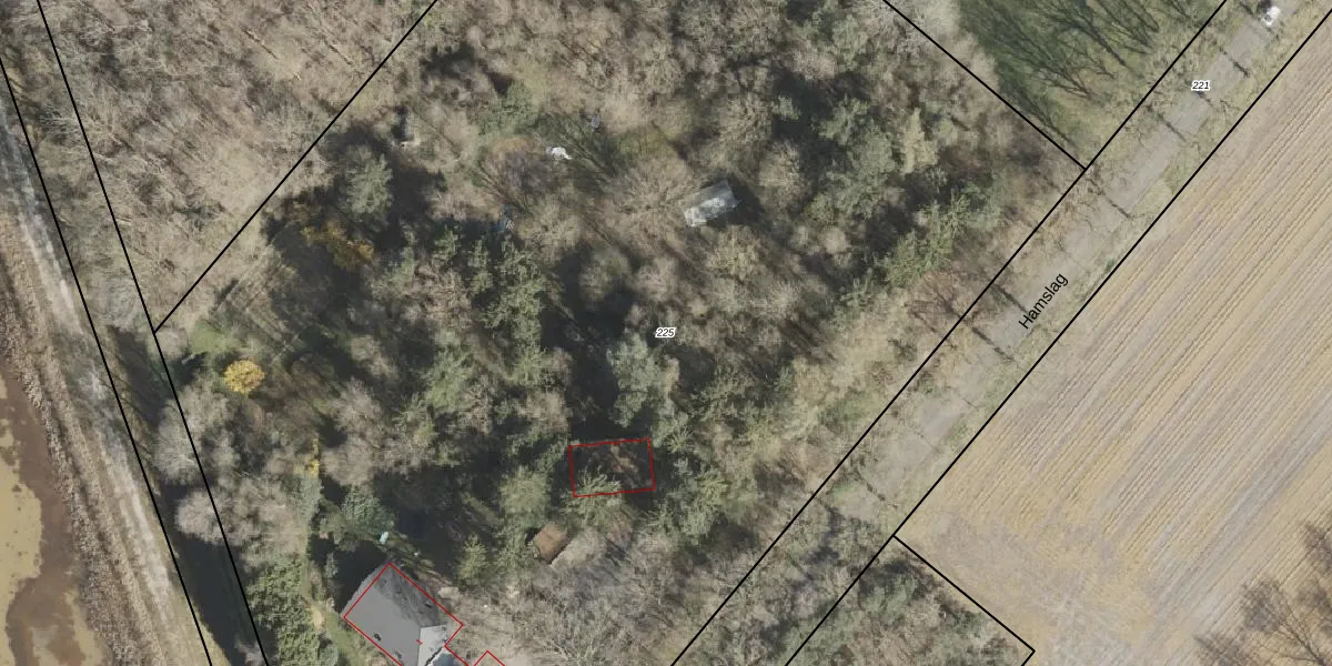
Perceel: WTB00-O-225
KadastraleKaart.com kan meer dan je denktOntdek meer ›
Filter op bestemming 50+ datasets Eigendomsdata in één klik Percelen CRM
12.230 m2 - 452 m
Eigenaar opvragen
WTB00-O-225 (Westerbork)
- 9435 TG
L61IL s4it3m6l v5803hsR4WYRZUpgrade naar KadastraleKaart Pro
Verkoopprijs opvragen
Bekijk op Street View
Download DWG/DXF/Excel
difOuYyMzHTO wkd z8j2vIUpgrade naar KadastraleKaart Pro
fSQra9eUhRMq73v3qfvfUpgrade naar KadastraleKaart Pro
oM v7wmjGHnnT42Kt s GUpgrade naar KadastraleKaart Pro
dyQJsQfBUpgrade naar KadastraleKaart Pro
OOnprpy4qk72WLTqcmA4Upgrade naar KadastraleKaart Pro
RgAnsl8pHUpgrade naar KadastraleKaart Pro
F71tY17VC75hE1 WUpgrade naar KadastraleKaart Pro
TP129HDZK M9lwKnUpgrade naar KadastraleKaart Pro
tjUnakLnURJQ tYUpgrade naar KadastraleKaart Pro
t2ug4AYhShlOFY1EUpgrade naar KadastraleKaart Pro
16/06/2003

Percelen
Gebruik de zoekbalk of klik op een perceel om informatie over het perceel te bekijken.