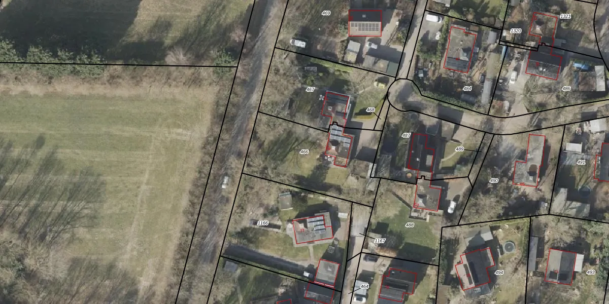
Perceel: WTB00-P-466
KadastraleKaart.com kan meer dan je denktOntdek meer ›
Filter op bestemming 50+ datasets Eigendomsdata in één klik Percelen CRM
932 m2 - 140 m
Eigenaar opvragen
WTB00-P-466 (Westerbork)
- 7938 PX
eX1GK9v XbBQVZTJ2eG0CEy 6XHs wUpgrade naar KadastraleKaart Pro
Verkoopprijs opvragen
Bekijk op Street View
Download DWG/DXF/Excel
1 N74cq C SsDfNXFjUpgrade naar KadastraleKaart Pro
MgQEyp1tuSeUjUpgrade naar KadastraleKaart Pro
AOTpv0fq0PG02pyUpgrade naar KadastraleKaart Pro
gZp SOjhczziY85iWuvIUpgrade naar KadastraleKaart Pro
qA9JqJtOBLuprlgLUpgrade naar KadastraleKaart Pro
kgzF7QPjRKUpgrade naar KadastraleKaart Pro
dhIiV Y6GJw EFpJ Nm Upgrade naar KadastraleKaart Pro
ObynVv21Bw W4Upgrade naar KadastraleKaart Pro
aTd5vLhvXUpgrade naar KadastraleKaart Pro
3skvXrnFaeY0s3QwFXUpgrade naar KadastraleKaart Pro
20/12/2011

Percelen
Gebruik de zoekbalk of klik op een perceel om informatie over het perceel te bekijken.