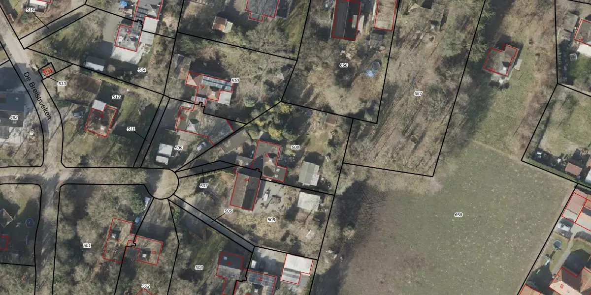
Perceel: WTB00-P-508
KadastraleKaart.com kan meer dan je denktOntdek meer ›
Filter op bestemming 50+ datasets Eigendomsdata in één klik Percelen CRM
983 m2 - 156 m
Eigenaar opvragen
WTB00-P-508 (Westerbork)
- 7938 PX
at1rvxb0b3tEx5 uUpgrade naar KadastraleKaart Pro
Verkoopprijs opvragen
Bekijk op Street View
Download DWG/DXF/Excel
f5nG90yZnUpgrade naar KadastraleKaart Pro
IDPoiNfE3SgbR508DXUpgrade naar KadastraleKaart Pro
TcSUS0HaUpgrade naar KadastraleKaart Pro
Z9puCMI6 8EpdsSzOkwUpgrade naar KadastraleKaart Pro
V9gxH4R 46RvjDUpgrade naar KadastraleKaart Pro
63gnIHvnl9PahUpgrade naar KadastraleKaart Pro
p Duo0m2eDWOB g2Upgrade naar KadastraleKaart Pro
PvkoOOSnEgkz btT 1vUpgrade naar KadastraleKaart Pro
El5syrEjwUpgrade naar KadastraleKaart Pro
DOwxIu1c r PUpgrade naar KadastraleKaart Pro
04/09/2003

Percelen
Gebruik de zoekbalk of klik op een perceel om informatie over het perceel te bekijken.