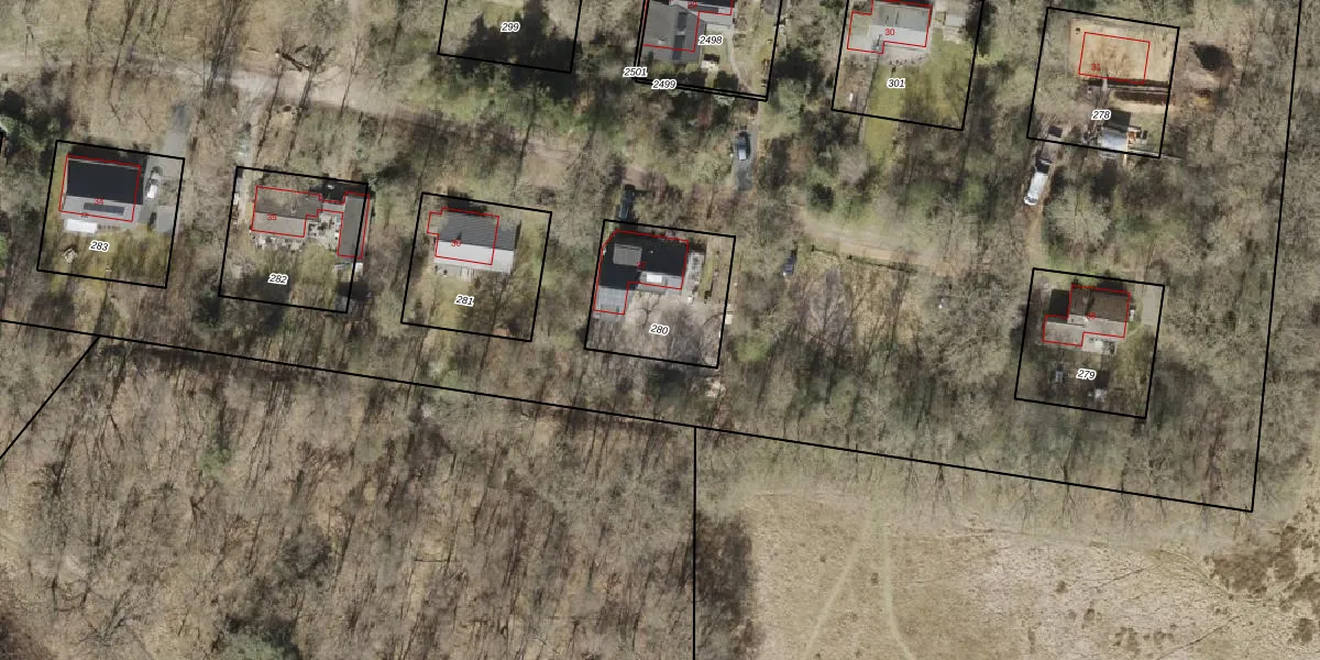
Perceel: WTB00-T-280
KadastraleKaart.com kan meer dan je denktOntdek meer ›
Filter op bestemming 50+ datasets Eigendomsdata in één klik Percelen CRM
400 m2 - 80 m
Eigenaar opvragen
WTB00-T-280 (Westerbork)
- 9431 TV
nF0TlNDu9bYz6BvM 5zXowpzRUpgrade naar KadastraleKaart Pro
Verkoopprijs opvragen
Bekijk op Street View
Download DWG/DXF/Excel
Kf2bcL7Z83g onUpgrade naar KadastraleKaart Pro
4YsbC5Us6TCH tDUpgrade naar KadastraleKaart Pro
m7S 09sRlYoqD FcosIiY2Upgrade naar KadastraleKaart Pro
zIX Yy9KglwMRUpgrade naar KadastraleKaart Pro
N ssiLktZBqvHSUpgrade naar KadastraleKaart Pro
xEtteQeDHXc1B tUpgrade naar KadastraleKaart Pro
KBHJQKvh yUpgrade naar KadastraleKaart Pro
fWtvhj0ICApqqzGHUpgrade naar KadastraleKaart Pro
VpyH2xyZUY UzIUs8sMyWUpgrade naar KadastraleKaart Pro
vFEHb36YUpgrade naar KadastraleKaart Pro
28/11/1997

Percelen
Gebruik de zoekbalk of klik op een perceel om informatie over het perceel te bekijken.