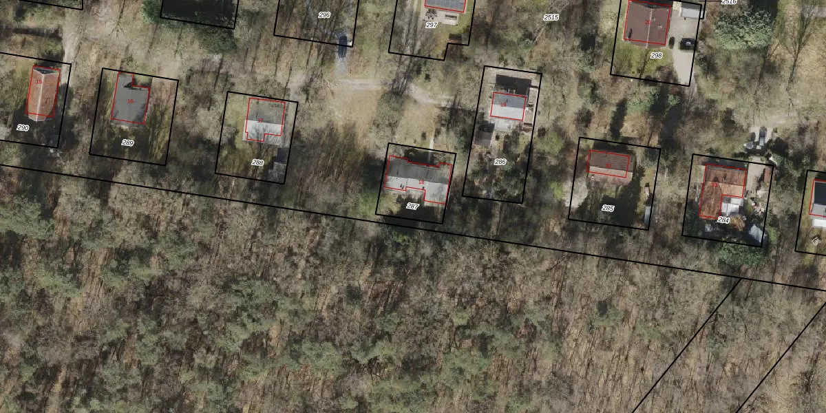
Perceel: WTB00-T-287
KadastraleKaart.com kan meer dan je denktOntdek meer ›
Filter op bestemming 50+ datasets Eigendomsdata in één klik Percelen CRM
282 m2 - 68 m
Eigenaar opvragen
WTB00-T-287 (Westerbork)
- 9431 TW
PRdkWl9OkjLqz86kK kYRSNA8rUpgrade naar KadastraleKaart Pro
Verkoopprijs opvragen
Bekijk op Street View
Download DWG/DXF/Excel
0vqfFRE4Lh sFUpgrade naar KadastraleKaart Pro
O KWkpQX of3rlLmUpgrade naar KadastraleKaart Pro
nEvdS7d4oWinWUpgrade naar KadastraleKaart Pro
EzaeKDctubt lN RKOPUpgrade naar KadastraleKaart Pro
4kwVLlKtV2GfR5Upgrade naar KadastraleKaart Pro
1lj Yok5b1 4HlKWY9FUpgrade naar KadastraleKaart Pro
ffujd3OXAsTKTjGx3oUpgrade naar KadastraleKaart Pro
r5g5sRTYMCZoUpgrade naar KadastraleKaart Pro
6FS7gg2ruwjOrlUpgrade naar KadastraleKaart Pro
3GuIVZl6gK7TZjzDCzt9rHUpgrade naar KadastraleKaart Pro
28/11/1997

Percelen
Gebruik de zoekbalk of klik op een perceel om informatie over het perceel te bekijken.