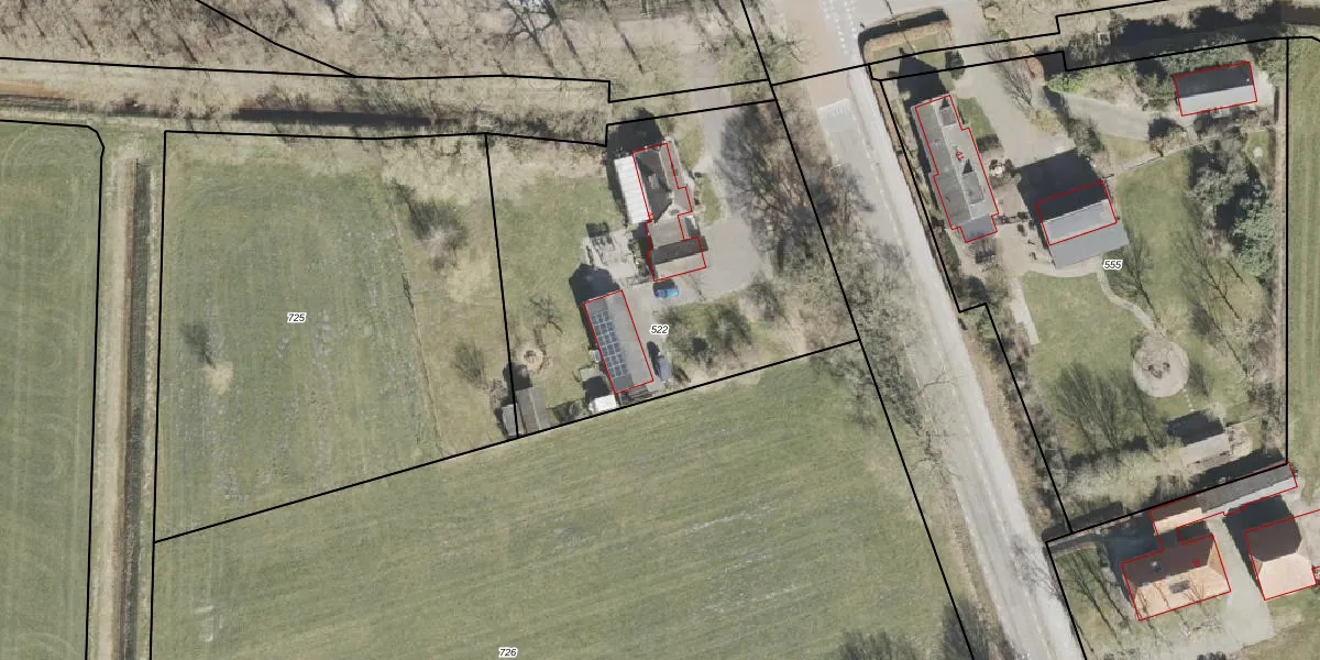
Perceel: WTB00-U-522
KadastraleKaart.com kan meer dan je denktOntdek meer ›
Filter op bestemming 50+ datasets Eigendomsdata in één klik Percelen CRM
2.000 m2 - 186 m
Eigenaar opvragen
WTB00-U-522 (Westerbork)
- 9433 PC
eLXh qSPv 6S 3eHKHjUpgrade naar KadastraleKaart Pro
Verkoopprijs opvragen
Bekijk op Street View
Download DWG/DXF/Excel
V2u65BBodKoYGxCUpgrade naar KadastraleKaart Pro
IgkJAfXm0NWUpgrade naar KadastraleKaart Pro
UCh wh RnC 6 LuJTeKUpgrade naar KadastraleKaart Pro
G6b3 SeM3Upgrade naar KadastraleKaart Pro
sWtojPAxicajbWp LyhjaDUpgrade naar KadastraleKaart Pro
FeOIHoDObUpgrade naar KadastraleKaart Pro
oP1 Fx M8N58VWUpgrade naar KadastraleKaart Pro
FCCwGBOY6yPyaubGySUpgrade naar KadastraleKaart Pro
LqDggfBlUpgrade naar KadastraleKaart Pro
bG9U pvtA5qeUpgrade naar KadastraleKaart Pro
15/01/2018

Percelen
Gebruik de zoekbalk of klik op een perceel om informatie over het perceel te bekijken.