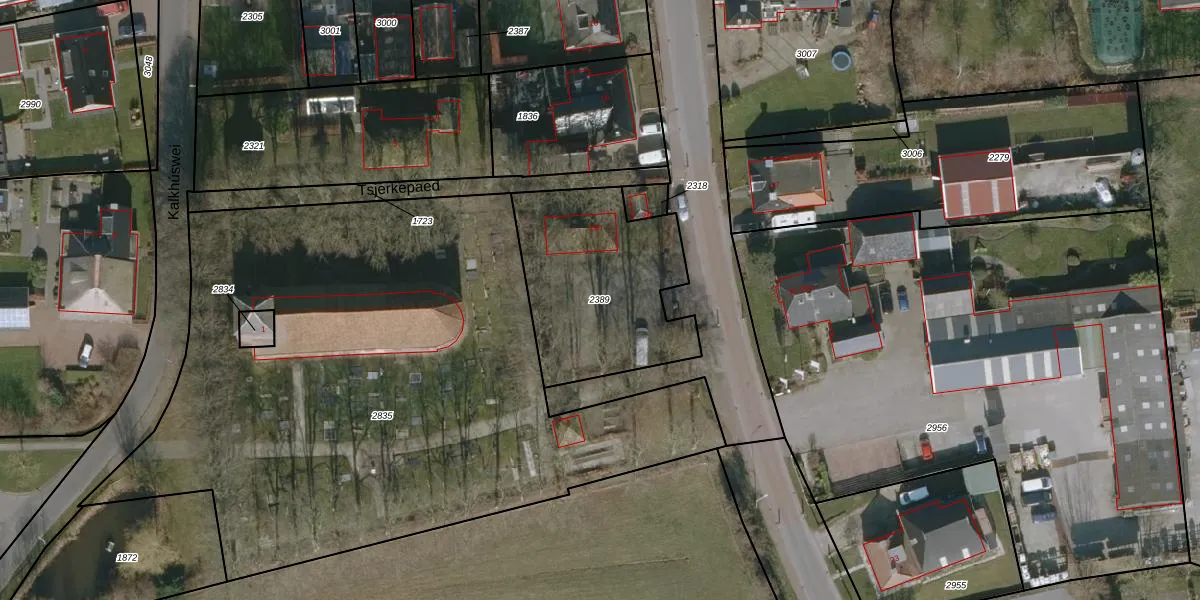
Perceel: WTG01-B-2389
KadastraleKaart.com kan meer dan je denktOntdek meer ›
Filter op bestemming 50+ datasets Eigendomsdata in één klik Percelen CRM
759 m2 - 127 m
Eigenaar opvragen
WTG01-B-2389 (Westergeest)
- 9295 KC
ayfi9RnK 4E wiVa6ZB gM r0Upgrade naar KadastraleKaart Pro
Bekijk op Street View
Download DWG/DXF/Excel
bGNp8fpoUpgrade naar KadastraleKaart Pro
eNu916RsZY8Xt0PhQPI aUpgrade naar KadastraleKaart Pro
7vZRbq0xf 8 ubiJxh hUpgrade naar KadastraleKaart Pro
TX0xuh9pUpgrade naar KadastraleKaart Pro
aG1mUQuI1K2PvftUpgrade naar KadastraleKaart Pro
t4M0PoqqDcl1BgjP7FoEUpgrade naar KadastraleKaart Pro
uzz b2HraNHyQXK7Y2tJUpgrade naar KadastraleKaart Pro
1J1fCO5VTMPUpgrade naar KadastraleKaart Pro
B6 4Vl 4wK 56jVQ4t wUpgrade naar KadastraleKaart Pro
OPD22rZ1YgbXkQsQeGJUpgrade naar KadastraleKaart Pro
29/07/1998

Percelen
Gebruik de zoekbalk of klik op een perceel om informatie over het perceel te bekijken.