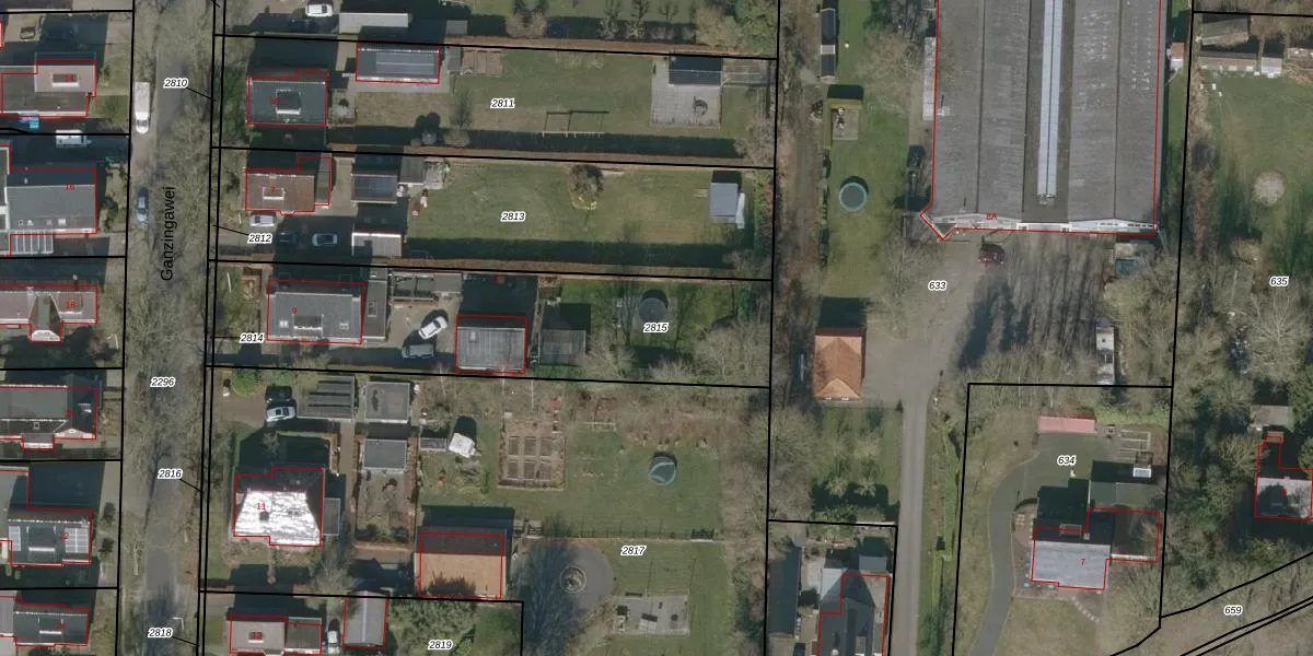
Perceel: WTG01-D-2815
KadastraleKaart.com kan meer dan je denktOntdek meer ›
Filter op bestemming 50+ datasets Eigendomsdata in één klik Percelen CRM
1.355 m2 - 202 m
Eigenaar opvragen
WTG01-D-2815 (Westergeest)
- 9298 RT
ynmnbPybF I38HwhQQHYUpgrade naar KadastraleKaart Pro
Verkoopprijs opvragen
Bekijk op Street View
Download DWG/DXF/Excel
gO PsIRzdSY 6jivHUpgrade naar KadastraleKaart Pro
W86NCHZbspf3czcj6h2r4Upgrade naar KadastraleKaart Pro
VHtaEXCvH97KHoG MLds3LUpgrade naar KadastraleKaart Pro
Iux29mw QUpgrade naar KadastraleKaart Pro
w9uu7NsJTGCUpgrade naar KadastraleKaart Pro
wWedHEc5DTv4 PlhX3IBmmUpgrade naar KadastraleKaart Pro
yJJC8Iq1k lBdLuE 1TUpgrade naar KadastraleKaart Pro
r f FTzgd 1 uwh7Upgrade naar KadastraleKaart Pro
zO2 SXPo4YUpgrade naar KadastraleKaart Pro
L8b qMHX cuTUpgrade naar KadastraleKaart Pro
29/05/2006

Percelen
Gebruik de zoekbalk of klik op een perceel om informatie over het perceel te bekijken.