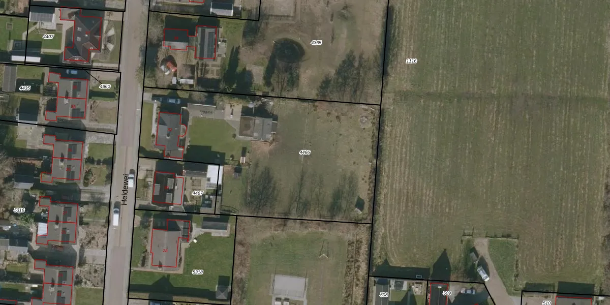
Perceel: WTG01-E-4466
KadastraleKaart.com kan meer dan je denktOntdek meer ›
Filter op bestemming 50+ datasets Eigendomsdata in één klik Percelen CRM
2.690 m2 - 235 m
Eigenaar opvragen
WTG01-E-4466 (Westergeest)
- 9299 HZ
gnCxHft bjRH PA4Tfa6321zdUUpgrade naar KadastraleKaart Pro
Bekijk op Street View
Download DWG/DXF/Excel
o5PLxcs nUpgrade naar KadastraleKaart Pro
oE bCZbdheQszNTykk1CF4Upgrade naar KadastraleKaart Pro
MU4tWX eUpgrade naar KadastraleKaart Pro
CKazl93s5F02dYUpgrade naar KadastraleKaart Pro
x1nmAuNz7CUpgrade naar KadastraleKaart Pro
P7fNUH9x uP2E Upgrade naar KadastraleKaart Pro
Msj IpuCfMUpgrade naar KadastraleKaart Pro
eFxvBloVGW2dUpgrade naar KadastraleKaart Pro
LtGhAOFMftCBppxuBOMUpgrade naar KadastraleKaart Pro
nPax 4bvPqg6P 0Upgrade naar KadastraleKaart Pro
02/02/2009

Percelen
Gebruik de zoekbalk of klik op een perceel om informatie over het perceel te bekijken.