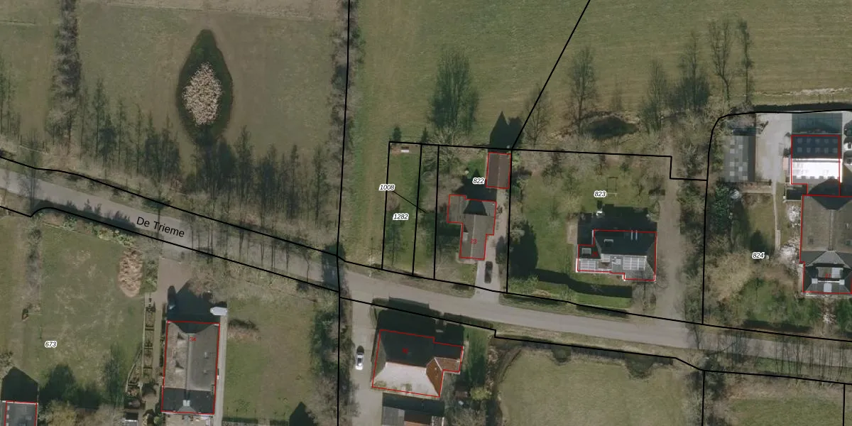
Perceel: WTG01-F-1008
Geen adressen bij dit perceel
142 m2 - 72 m
Eigenaar opvragen
WTG01-F-1008 (Westergeest)
- Geen postcode aanwezig
S8UMFXja4otYcqk k9TUpgrade naar KadastraleKaart Pro
Bekijk op Street View
Download DWG/DXF/Excel
EYGwNolgdkMyUpgrade naar KadastraleKaart Pro
qd eGwH4A6zBw4QlXiPnFEHUpgrade naar KadastraleKaart Pro
AZw7X6zjvY7AGUpgrade naar KadastraleKaart Pro
8AYEL0jnmKSajcUpgrade naar KadastraleKaart Pro
Fg Vb5fNB YAACQetmlUpgrade naar KadastraleKaart Pro
PMLkeIkbWY9Upgrade naar KadastraleKaart Pro
le1T9qMQRUpgrade naar KadastraleKaart Pro
c Cjhqd eFICrKkE6chUpgrade naar KadastraleKaart Pro
0j1SSw5L WE2tfkB9jRkKKbUpgrade naar KadastraleKaart Pro
0c3AX BHuYH28 BJDLCGRUpgrade naar KadastraleKaart Pro
29/05/2006

Percelen
Gebruik de zoekbalk of klik op een perceel om informatie over het perceel te bekijken.