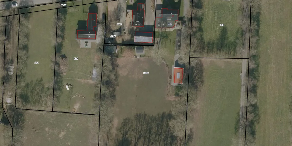
Perceel: WTG01-F-1043
5.431 m2 - 341 m
Eigenaar opvragen
WTG01-F-1043 (Westergeest)
- 9298 WC
9NQmhuxcvos0Go2T7h Upgrade naar KadastraleKaart Pro
Verkoopprijs opvragen
Bekijk op Street View
Download DWG/DXF/Excel
mmer8NnqTt nBVUpgrade naar KadastraleKaart Pro
EgxvleOQUpgrade naar KadastraleKaart Pro
R5Cs0EZntZR2MWUpgrade naar KadastraleKaart Pro
IIz6IwpbYPMx42xjGV DVBUpgrade naar KadastraleKaart Pro
PhsSRi7MUpgrade naar KadastraleKaart Pro
cUt9eLsLqRMUpgrade naar KadastraleKaart Pro
vFJtF1LTHah2LUpgrade naar KadastraleKaart Pro
d6FMbqT8V1Upgrade naar KadastraleKaart Pro
8RzwkZ25Upgrade naar KadastraleKaart Pro
Q lpRRtcCqlZJlnsVUpgrade naar KadastraleKaart Pro
23/10/2007

Percelen
Gebruik de zoekbalk of klik op een perceel om informatie over het perceel te bekijken.