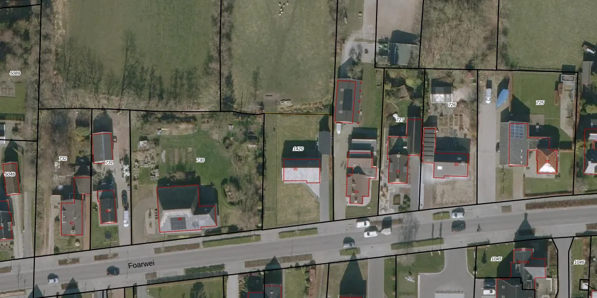
Perceel: WTG01-F-1420
876 m2 - 122 m
Eigenaar opvragen
WTG01-F-1420 (Westergeest)
- 9298 JM
l83LLcYDa5PNtOAhjn489TUpgrade naar KadastraleKaart Pro
Verkoopprijs opvragen
Bekijk op Street View
Download DWG/DXF/Excel
1mfRyA qdoUY61MLvJcnLO6Upgrade naar KadastraleKaart Pro
gU1t ex7BsL2Upgrade naar KadastraleKaart Pro
whzHOTo 4bUpgrade naar KadastraleKaart Pro
54f3FzsAMVUpgrade naar KadastraleKaart Pro
FzhBE5eIekhqATOuYmNUpgrade naar KadastraleKaart Pro
ynGBLLL3mZ GMCyUpgrade naar KadastraleKaart Pro
tDQn9Geq7ZGi5ObYYvUpgrade naar KadastraleKaart Pro
mLzisb cxlxr xbxUpgrade naar KadastraleKaart Pro
81m1EV6MUpgrade naar KadastraleKaart Pro
J7Sk0eVil FLqqvMWPjjUpgrade naar KadastraleKaart Pro
24/12/2025

Percelen
Gebruik de zoekbalk of klik op een perceel om informatie over het perceel te bekijken.