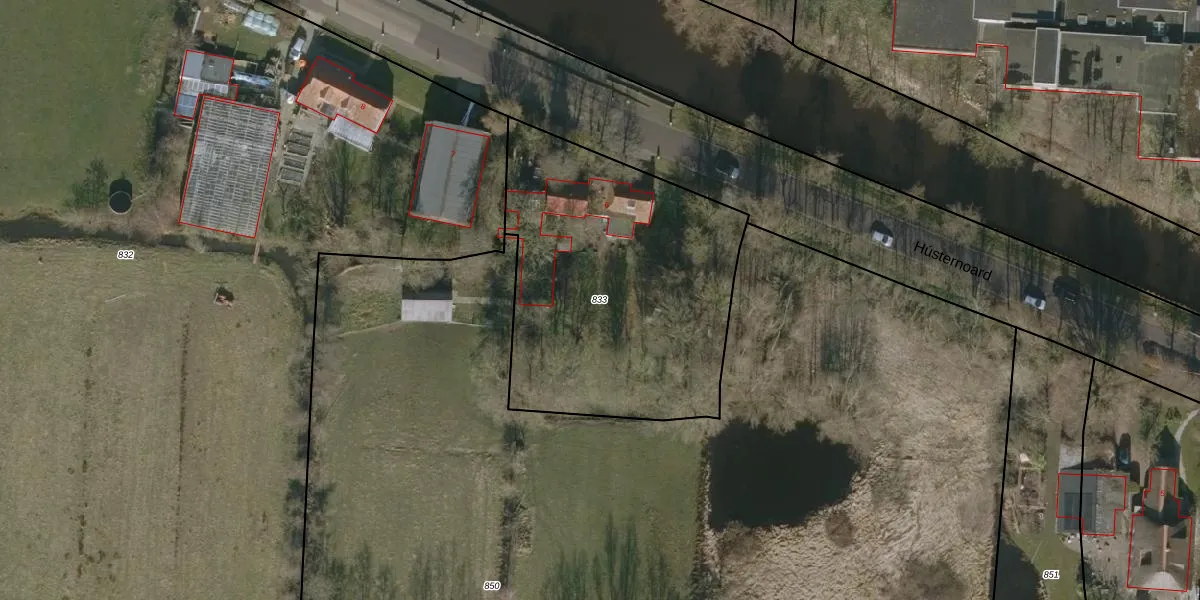
Perceel: WTG01-F-833
1.550 m2 - 164 m
Eigenaar opvragen
WTG01-F-833 (Westergeest)
- 9294 MX
2h51 NoTgi ix e yD93GUpgrade naar KadastraleKaart Pro
Bekijk op Street View
Download DWG/DXF/Excel
5GYxGzfxvis cVTAEv umUpgrade naar KadastraleKaart Pro
r0nyds4iVaKVHJLUpgrade naar KadastraleKaart Pro
JRxT2Zir maMDptIX6kUpgrade naar KadastraleKaart Pro
Kaitefi95jTMOOwM4Z 62 Upgrade naar KadastraleKaart Pro
4pNdB8 CezhdxJvDaw JkUpgrade naar KadastraleKaart Pro
rqP5mViqXpTKWktZBINjUpgrade naar KadastraleKaart Pro
1C3ofaue 9eUpgrade naar KadastraleKaart Pro
IARDC4ZgPUpgrade naar KadastraleKaart Pro
fbYlKa0lm9M 9wj jUcmUpgrade naar KadastraleKaart Pro
XagcwpmvyUpgrade naar KadastraleKaart Pro
29/05/2006

Percelen
Gebruik de zoekbalk of klik op een perceel om informatie over het perceel te bekijken.