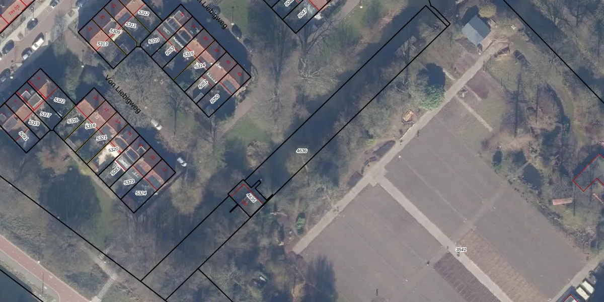
Perceel: WTG02-A-4636
KadastraleKaart.com kan meer dan je denktOntdek meer ›
Filter op bestemming 50+ datasets Eigendomsdata in één klik Percelen CRM
Geen adressen bij dit perceel
1.263 m2 - 322 m
Eigenaar opvragen
WTG02-A-4636 (Watergraafsmeer)
- Geen postcode aanwezig
8Uy3 7 6EQkBT8Y6A9reizsVUpgrade naar KadastraleKaart Pro
Bekijk op Street View
Download DWG/DXF/Excel
oVDV3 VDrJw mmWUpgrade naar KadastraleKaart Pro
eGRRWR T0cUpgrade naar KadastraleKaart Pro
F7yRRLODUpgrade naar KadastraleKaart Pro
vLq84 jOZbl 3JT6kthgUpgrade naar KadastraleKaart Pro
1pm YsBf5bKUpgrade naar KadastraleKaart Pro
IAsXp1X Q mSUpgrade naar KadastraleKaart Pro
PseGuPicjsIUpgrade naar KadastraleKaart Pro
m BAsyH0um qNKBh6XjUpgrade naar KadastraleKaart Pro
2yGS 4boZbI tBDzsUpgrade naar KadastraleKaart Pro
vkyH6JS 4lBEYXx1e7tUpgrade naar KadastraleKaart Pro
18/08/2006

Percelen
Gebruik de zoekbalk of klik op een perceel om informatie over het perceel te bekijken.