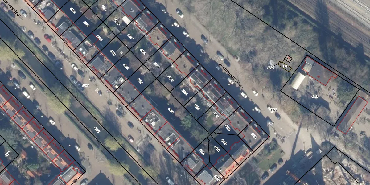
Perceel: WTG02-B-2571
237 m2 - 66 m
Eigenaar opvragen
WTG02-B-2571 (Watergraafsmeer)
- 1098 PX
HKuJ8T1cCvxdm07 9D pU90 FvUpgrade naar KadastraleKaart Pro
Verkoopprijs opvragen
Bekijk op Street View
Download DWG/DXF/Excel
L1a IHcKUpgrade naar KadastraleKaart Pro
8eRBCY2e0AFsMHLHrUpgrade naar KadastraleKaart Pro
ef1ndS 2H dQjnb IMNZeXUpgrade naar KadastraleKaart Pro
9soGNC7ZMRzUpgrade naar KadastraleKaart Pro
HF ga RJ LlQg8tNnDr KNUpgrade naar KadastraleKaart Pro
iF9J l0BfPJWDR471Upgrade naar KadastraleKaart Pro
QiBab FjTUpgrade naar KadastraleKaart Pro
coUmmI2UrfE Upgrade naar KadastraleKaart Pro
3PtHlevOxUpgrade naar KadastraleKaart Pro
o2HpUDxy0CLuFeHglDNPjyUpgrade naar KadastraleKaart Pro
18/03/2009

Percelen
Gebruik de zoekbalk of klik op een perceel om informatie over het perceel te bekijken.