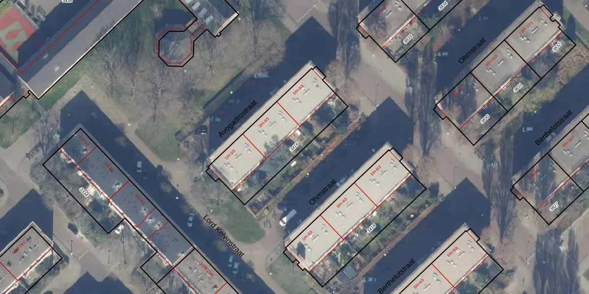
Perceel: WTG02-B-3416
887 m2 - 139 m
Eigenaar opvragen
WTG02-B-3416 (Watergraafsmeer)
- 1098 SN
kCYndE1saSAfmvsj G6HhUpgrade naar KadastraleKaart Pro
Verkoopprijs opvragen
Bekijk op Street View
Download DWG/DXF/Excel
Dfir urh88xOkUpgrade naar KadastraleKaart Pro
cGdmvmoRrICzJUpgrade naar KadastraleKaart Pro
mkVhEIDjmnd HUpgrade naar KadastraleKaart Pro
iq8bw1TkA WZR8zsDUpgrade naar KadastraleKaart Pro
q frzTOjL5wDKhpoeAgQAQ4Upgrade naar KadastraleKaart Pro
XGJv PDDbp0vEvUpgrade naar KadastraleKaart Pro
gt3JOq3lhqo988od66w9XUpgrade naar KadastraleKaart Pro
55Ump12HO2LyPo H g VUpgrade naar KadastraleKaart Pro
TYFzoUpnTTqqBNEc IR aEUpgrade naar KadastraleKaart Pro
w 4x9lymn TNUpgrade naar KadastraleKaart Pro
22/09/2006

Percelen
Gebruik de zoekbalk of klik op een perceel om informatie over het perceel te bekijken.