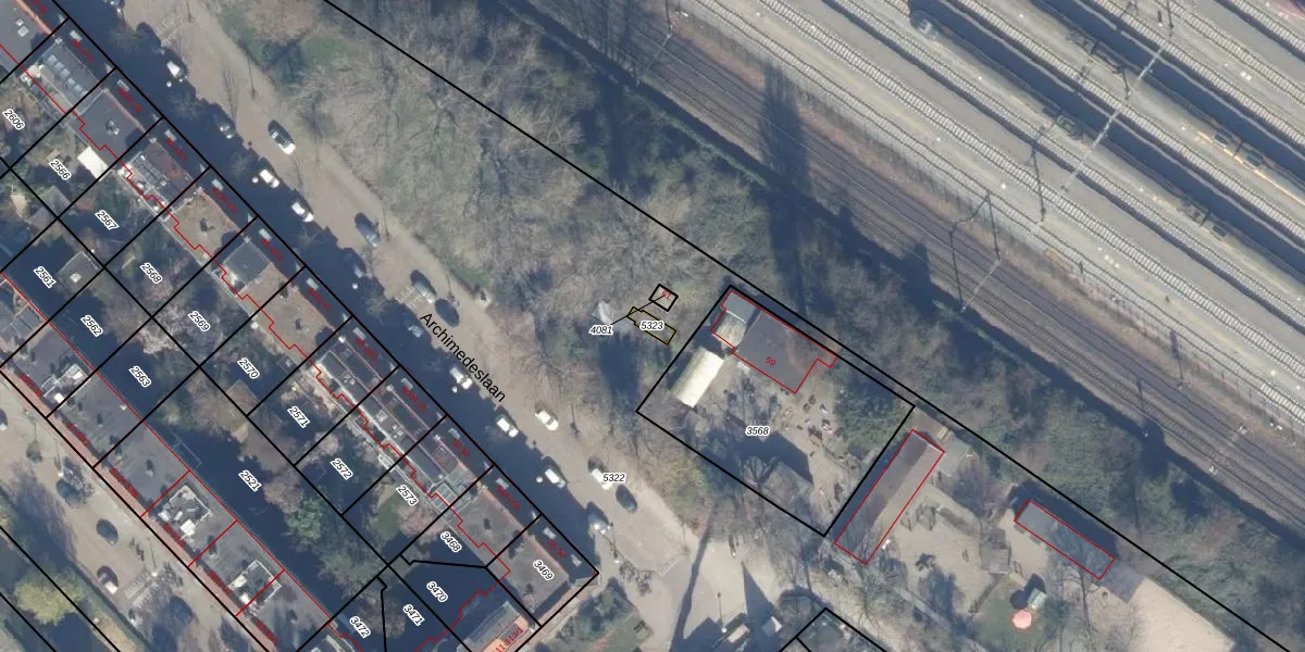
Perceel: WTG02-B-5323
Geen adressen bij dit perceel
18 m2 - 20 m
Eigenaar opvragen
WTG02-B-5323 (Watergraafsmeer)
- Geen postcode aanwezig
APAf0Xj YBoiUKLNUvJYGHUpgrade naar KadastraleKaart Pro
Bekijk op Street View
Download DWG/DXF/Excel
C7K7QAQEUpgrade naar KadastraleKaart Pro
DjNV0ZBvoz5lVp S8GUpgrade naar KadastraleKaart Pro
eOzUZZDHCHSLkUpgrade naar KadastraleKaart Pro
d9eFcDh5V gZH iIHCJzUpgrade naar KadastraleKaart Pro
20XmyuHPUpgrade naar KadastraleKaart Pro
HfZx8bJZRrLMUo36Upgrade naar KadastraleKaart Pro
6jt4Q eGkfFUpgrade naar KadastraleKaart Pro
h3oQyI0 K3nMfNlfcEUpgrade naar KadastraleKaart Pro
keVuDi54uq 6AjvDAiEFUUpgrade naar KadastraleKaart Pro
xA0DYKE POwrwrAkLhdIUpgrade naar KadastraleKaart Pro
23/04/2024

Percelen
Gebruik de zoekbalk of klik op een perceel om informatie over het perceel te bekijken.