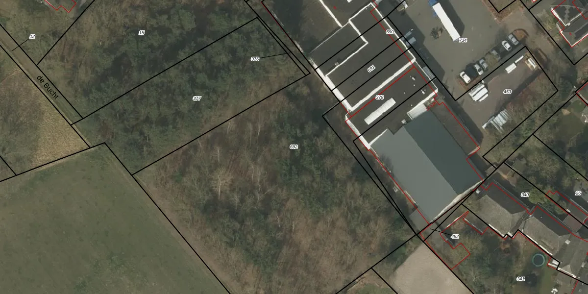
Perceel: WTH00-D-692
KadastraleKaart.com kan meer dan je denktOntdek meer ›
Filter op bestemming 50+ datasets Eigendomsdata in één klik Percelen CRM
Geen adressen bij dit perceel
4.682 m2 - 450 m
Eigenaar opvragen
WTH00-D-692 (Westerhoven)
- Geen postcode aanwezig
0g MGLXkI9bBOh9EZI4 02baBXcUpgrade naar KadastraleKaart Pro
Bekijk op Street View
Download DWG/DXF/Excel
sexU82PqtN nSpUpgrade naar KadastraleKaart Pro
nNgffc9LJUpgrade naar KadastraleKaart Pro
pvTPJP ifcPIuYULMfUpgrade naar KadastraleKaart Pro
m9ri1 9vM pmzKbNXMv KUpgrade naar KadastraleKaart Pro
cUrzUd2 ps69eUpgrade naar KadastraleKaart Pro
8AjIw0ByEvg40QzUpgrade naar KadastraleKaart Pro
RYWjgxxfOMi2oI DjQ V7oUpgrade naar KadastraleKaart Pro
p3N 0ABoU Y1g4qU3auYUOYUpgrade naar KadastraleKaart Pro
9gQ3ChWgW7HggfUpgrade naar KadastraleKaart Pro
9EXbJKlkETn1w i3n0swxFLUpgrade naar KadastraleKaart Pro
14/05/2013

Percelen
Gebruik de zoekbalk of klik op een perceel om informatie over het perceel te bekijken.