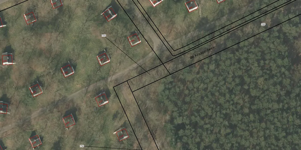
Perceel: WTH00-D-755
KadastraleKaart.com kan meer dan je denktOntdek meer ›
Filter op bestemming 50+ datasets Eigendomsdata in één klik Percelen CRM
Geen adressen bij dit perceel
230 m2 - 72 m
Eigenaar opvragen
WTH00-D-755 (Westerhoven)
- Geen postcode aanwezig
Uebl1CgMUebg4Bk6rkp48660oqmUpgrade naar KadastraleKaart Pro
Bekijk op Street View
Download DWG/DXF/Excel
BGyI ORkG0jUtLbXGUpgrade naar KadastraleKaart Pro
F0xdn3mtxcqTNHJTe2ZUpgrade naar KadastraleKaart Pro
8UN1SisPi DuzCU2Upgrade naar KadastraleKaart Pro
1Vf33nMP5Ty UsQi9hkV Upgrade naar KadastraleKaart Pro
S2tcWGGSHpkt7l4DUpgrade naar KadastraleKaart Pro
W0zpR9L QYbSzlnd19GJrTUpgrade naar KadastraleKaart Pro
mDgrLLKhxwA545MaPUpgrade naar KadastraleKaart Pro
mwTvtDWaNcIao3f5LjOimwXUpgrade naar KadastraleKaart Pro
17S pIXh 3chGEUpgrade naar KadastraleKaart Pro
R3ohP pAybwVaEFW PYUpgrade naar KadastraleKaart Pro
12/03/2018

Percelen
Gebruik de zoekbalk of klik op een perceel om informatie over het perceel te bekijken.