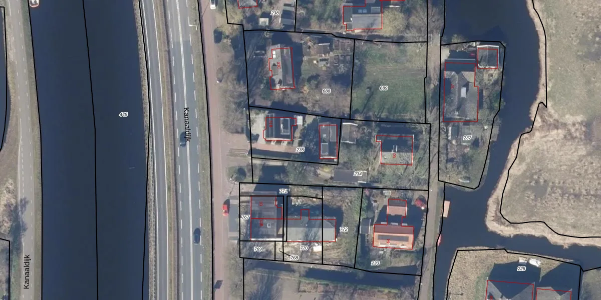
Perceel: WTL00-H-235
KadastraleKaart.com kan meer dan je denktOntdek meer ›
Filter op bestemming 50+ datasets Eigendomsdata in één klik Percelen CRM
485 m2 - 92 m
Eigenaar opvragen
WTL00-H-235 (Waterland)
- 1454 AA
SRjP frsr2j9TfBSRPWUpgrade naar KadastraleKaart Pro
Verkoopprijs opvragen
Bekijk op Street View
Download DWG/DXF/Excel
8HLpQwhgBxaCUpgrade naar KadastraleKaart Pro
zm 9V 4KyWVtFUpgrade naar KadastraleKaart Pro
eN16jem EuZKJuJgUpgrade naar KadastraleKaart Pro
r15Yq Qm6zo6vTyASFOv78Upgrade naar KadastraleKaart Pro
f cYJo D p9 UOoVK0YUlGUpgrade naar KadastraleKaart Pro
Hjb7 HdhKCf9Xpm Upgrade naar KadastraleKaart Pro
TG9DJk4SV Upgrade naar KadastraleKaart Pro
Bzx N6ujt7BrAKUpgrade naar KadastraleKaart Pro
yYHCCar ZRbo OMA0atUpgrade naar KadastraleKaart Pro
jTD SMBL4swbP9QXBA7RT0Upgrade naar KadastraleKaart Pro
22/10/2002

Percelen
Gebruik de zoekbalk of klik op een perceel om informatie over het perceel te bekijken.