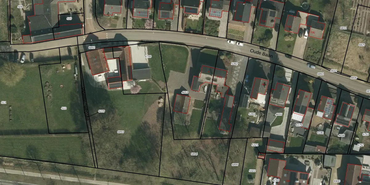
Perceel: WTM00-B-4653
KadastraleKaart.com kan meer dan je denktOntdek meer ›
Filter op bestemming 50+ datasets Eigendomsdata in één klik Percelen CRM
1.190 m2 - 150 m
Eigenaar opvragen
WTM00-B-4653 (Wittem)
- 6286 BE
gRVxCdIV9ihNo 2AUpgrade naar KadastraleKaart Pro
Verkoopprijs opvragen
Bekijk op Street View
Download DWG/DXF/Excel
guXI3TgSsoK HxVfUpgrade naar KadastraleKaart Pro
XGCq4UIkP4Upgrade naar KadastraleKaart Pro
wbU6oB IsZ7XjZqcjbgMMUpgrade naar KadastraleKaart Pro
WAydaZLYT000nBAOQYUpgrade naar KadastraleKaart Pro
Oplwf L0c4Uwn6bl8NUpgrade naar KadastraleKaart Pro
Kfbv v tIIJrL fxZj51mNTUpgrade naar KadastraleKaart Pro
O4uEDpXGyDDVlcMCUpgrade naar KadastraleKaart Pro
rFE 2UfMzqKcp rjUpgrade naar KadastraleKaart Pro
l91b4LDgUpgrade naar KadastraleKaart Pro
R9KzinYsXE lvO7Upgrade naar KadastraleKaart Pro
30/05/2011

Percelen
Gebruik de zoekbalk of klik op een perceel om informatie over het perceel te bekijken.