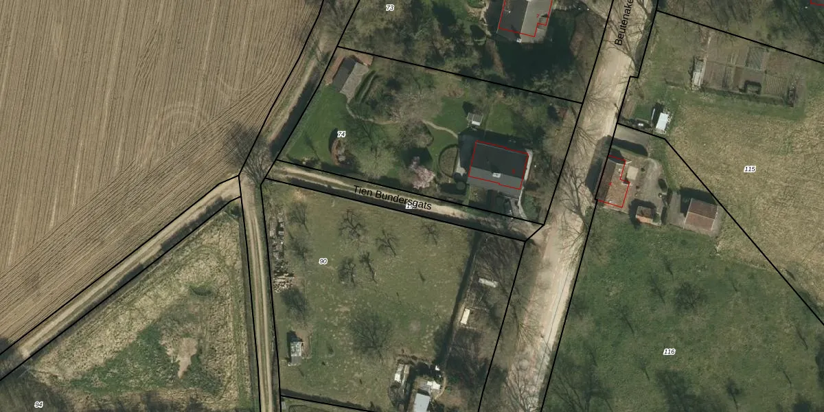
Perceel: WTM00-F-177
KadastraleKaart.com kan meer dan je denktOntdek meer ›
Filter op bestemming 50+ datasets Eigendomsdata in één klik Percelen CRM
Geen adressen bij dit perceel
330 m2 - 143 m
Eigenaar opvragen
WTM00-F-177 (Wittem)
- Geen postcode aanwezig
Nhn sn6MpkEG0vqAjS Upgrade naar KadastraleKaart Pro
Bekijk op Street View
Download DWG/DXF/Excel
uYQ39rJ5omw2BEFUpgrade naar KadastraleKaart Pro
37BV LaMUpgrade naar KadastraleKaart Pro
Cn yOsyAXiFdIlOatuu3Upgrade naar KadastraleKaart Pro
kGcE2MQrUUpgrade naar KadastraleKaart Pro
He9WR1D8VZUpgrade naar KadastraleKaart Pro
zY3B1EGOdaOOu3LeWHj6uZUpgrade naar KadastraleKaart Pro
IgvQ ExoOjUpgrade naar KadastraleKaart Pro
fqa cD5Wk3Qu Upgrade naar KadastraleKaart Pro
VTyBtqnVe Id1FZUpgrade naar KadastraleKaart Pro
G QRTOx zWH6D aLUpgrade naar KadastraleKaart Pro
05/07/2024

Percelen
Gebruik de zoekbalk of klik op een perceel om informatie over het perceel te bekijken.