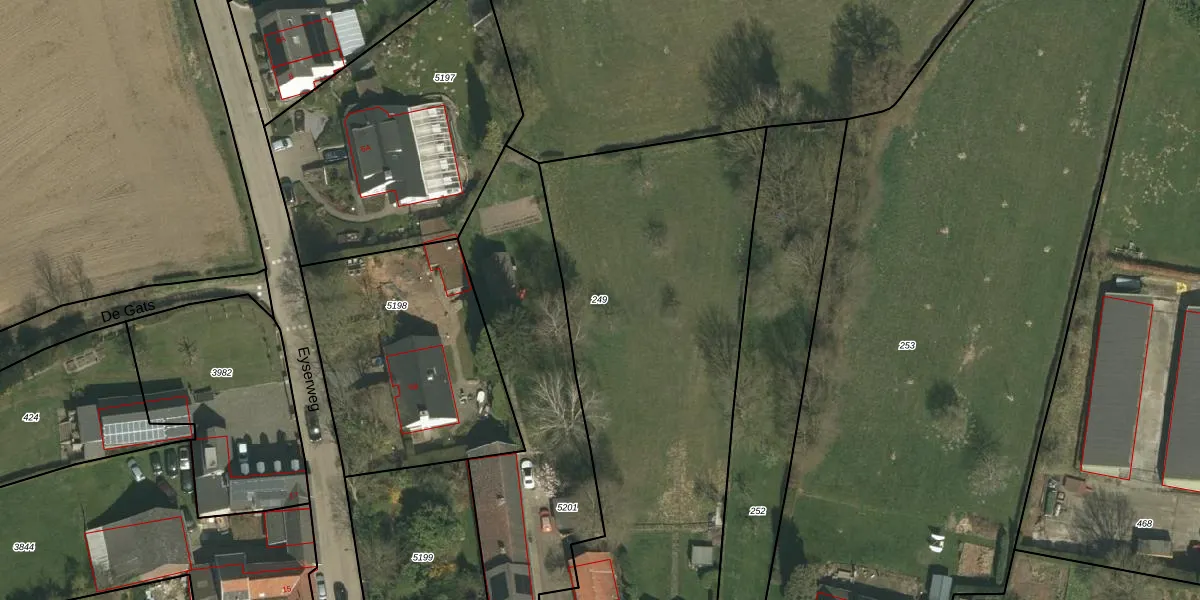
Perceel: WTM00-R-249
KadastraleKaart.com kan meer dan je denktOntdek meer ›
Filter op bestemming 50+ datasets Eigendomsdata in één klik Percelen CRM
2.660 m2 - 275 m
Eigenaar opvragen
WTM00-R-249 (Wittem)
- 6287 NG
PWlj96asJD6F01ZGDOEFiiGnIz LUpgrade naar KadastraleKaart Pro
Bekijk op Street View
Download DWG/DXF/Excel
RU9q ZFmzdZwImXr0Ta6AUpgrade naar KadastraleKaart Pro
yA 0loONvPjHUpgrade naar KadastraleKaart Pro
w7E I QEUpgrade naar KadastraleKaart Pro
Cr8ZAWwTkcUpgrade naar KadastraleKaart Pro
OEcueLamqc2 Upgrade naar KadastraleKaart Pro
rBoJWMkwET8dc5DIorAUpgrade naar KadastraleKaart Pro
4 q C0og MFcIUkRnUpgrade naar KadastraleKaart Pro
S0aSiSKUR1vG1FcMrUpgrade naar KadastraleKaart Pro
SziDN6n9G5g9Vu7g 1mNVLUpgrade naar KadastraleKaart Pro
res7u9pVhqn1hUpgrade naar KadastraleKaart Pro
02/09/2011

Percelen
Gebruik de zoekbalk of klik op een perceel om informatie over het perceel te bekijken.