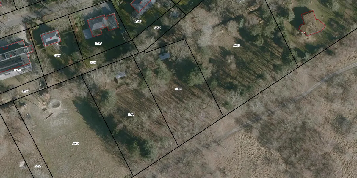
Perceel: WTS00-C-1094
KadastraleKaart.com kan meer dan je denktOntdek meer ›
Filter op bestemming 50+ datasets Eigendomsdata in één klik Percelen CRM
Geen adressen bij dit perceel
1.620 m2 - 169 m
Eigenaar opvragen
WTS00-C-1094 (Westerschouwen)
- Geen postcode aanwezig
cgSLLU tlfRs4hJ4Sw4I8h0KfbbUpgrade naar KadastraleKaart Pro
Bekijk op Street View
Download DWG/DXF/Excel
Tw1O4xfIUpgrade naar KadastraleKaart Pro
2LRaK0LIdXYbTM 5WC 8Upgrade naar KadastraleKaart Pro
Gu43Gbn 5rWUYTv PYbUpgrade naar KadastraleKaart Pro
liEGCOjUZM9MD2P uUpgrade naar KadastraleKaart Pro
C7xE26fNkZGAXMGiadGqFuUpgrade naar KadastraleKaart Pro
DFRr AC1 8oPm B8NkUpgrade naar KadastraleKaart Pro
X7x zhPvmf JRhUpgrade naar KadastraleKaart Pro
B qcbe5DSBJ0NxUpgrade naar KadastraleKaart Pro
IGBNWt5oJbRh Z PUpgrade naar KadastraleKaart Pro
B8fNUdgFbaTtxUpgrade naar KadastraleKaart Pro
08/12/2022

Percelen
Gebruik de zoekbalk of klik op een perceel om informatie over het perceel te bekijken.