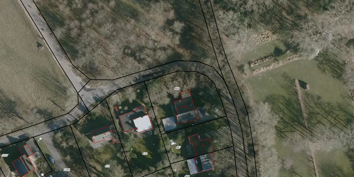
Perceel: WTS00-F-466
KadastraleKaart.com kan meer dan je denktOntdek meer ›
Filter op bestemming 50+ datasets Eigendomsdata in één klik Percelen CRM
1.170 m2 - 132 m
Eigenaar opvragen
WTS00-F-466 (Westerschouwen)
- 4328 GX
3m lqnQQ3e8mG7b00cJikq3Y2Upgrade naar KadastraleKaart Pro
Bekijk op Street View
Download DWG/DXF/Excel
l UuqjCBcnpxtT 0FosAXUpgrade naar KadastraleKaart Pro
Ll7Xt1RorAkU JHwTftXnUpgrade naar KadastraleKaart Pro
3g xzNOP5gxNuHc6yx8Upgrade naar KadastraleKaart Pro
VQDehwkJ LZ Upgrade naar KadastraleKaart Pro
hZXfcAlNeZIfQ 62Upgrade naar KadastraleKaart Pro
yZkzfXi7 oUpgrade naar KadastraleKaart Pro
zpEu dBs F7TU4 e qNFdXUpgrade naar KadastraleKaart Pro
1znMTo Xh59yg 6eVRUpgrade naar KadastraleKaart Pro
6bf VvwwCAL vaq3BqKf AUpgrade naar KadastraleKaart Pro
Mc CjLI72XaobbTuoWUpgrade naar KadastraleKaart Pro
03/10/1997

Percelen
Gebruik de zoekbalk of klik op een perceel om informatie over het perceel te bekijken.