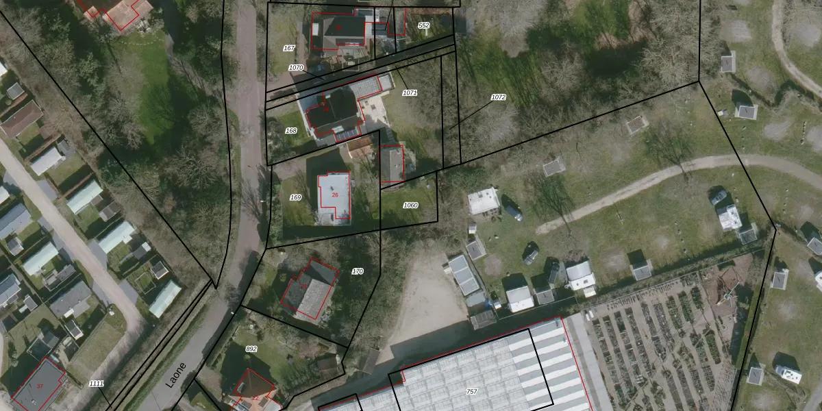
Perceel: WTS00-H-1060
KadastraleKaart.com kan meer dan je denktOntdek meer ›
Filter op bestemming 50+ datasets Eigendomsdata in één klik Percelen CRM
Geen adressen bij dit perceel
150 m2 - 51 m
Eigenaar opvragen
WTS00-H-1060 (Westerschouwen)
- Geen postcode aanwezig
m z e Lb6PWPothKnJ9grDvOgUpgrade naar KadastraleKaart Pro
Bekijk op Street View
Download DWG/DXF/Excel
fDPik9f 6cTlz6fUpgrade naar KadastraleKaart Pro
xpouQseP0Fo0CM 752pn87Upgrade naar KadastraleKaart Pro
7oueLAm5LWgRLNxCQAz4Upgrade naar KadastraleKaart Pro
rG0jc7NsYCaNy urQXfsUpgrade naar KadastraleKaart Pro
VCwYZQYjcI0Esh6LMPHJUpgrade naar KadastraleKaart Pro
l7QFRyfhMbZ2LtyUpgrade naar KadastraleKaart Pro
vMBPwVvJdBi6JEq5Upgrade naar KadastraleKaart Pro
OZDRhFfeZXUpgrade naar KadastraleKaart Pro
zY5m76IW a9bDcZJX2mUpgrade naar KadastraleKaart Pro
SN2d1 L0EkagOUBHOPV Upgrade naar KadastraleKaart Pro
28/04/2011

Percelen
Gebruik de zoekbalk of klik op een perceel om informatie over het perceel te bekijken.